К физиологии и depressoris
- Авторы: Фофановъ Л.Л.1
-
Учреждения:
- Императорскiй Казанскiй Университет
- Выпуск: Том XVI, № 2 (1909)
- Страницы: 249-312
- Раздел: Оригинальные исследования
- Статья получена: 19.02.2022
- Статья одобрена: 19.02.2022
- Статья опубликована: 14.03.2022
- URL: https://journals.eco-vector.com/1027-4898/article/view/101120
- DOI: https://doi.org/10.17816/nb101120
- ID: 101120
Цитировать
Полный текст
Аннотация
Выяснив свой взгляд на депрессорный нерв, мы перейдем теперь к решению вопроса о способе его действия на вазомоторный центр, т. е. что, именно, происходит при раздражении депрессора, угнетение центра вазоконстрикторов, или возбуждение дилятаторов, или то и другое вместе. Но прежде чем говорить о собственных изследованиях я укажу некоторыя литературныя данныя по этому вопросу.
Ключевые слова
Полный текст
IV.
(Отношение н. депрессора к сосудодвигательным центрам). Литературно экспериментальное изследование.
Отношение н. депрессора к сосудодвигательным центрам. Литература вопроса. Собственныя наблюдения—методика изследования.
Выяснив свой взгляд на депрессорный нерв, мы перейдем теперь к решению вопроса о способе его действия на вазомоторный центр, т. е. что, именно, происходит при раздражении депрессора, угнетение центра вазоконстрикторов, или возбуждение дилятаторов, или то и другое вместе. Но, прежде чем говорить о собственных изследованиях я укажу некоторыя литературныя данныя по этому вопросу. Уже, как мы указывали выше, ходячий взгляд на способ действия депрессора состоит в том, что он, при раздражении своем, угнетает тоническое возбуждение центра вазоконстрикторов, на что впервые указано Cyon'ом и Ludwig'ом 1) и затем Stelling'ом 2). Однако в сравнительно скором времени Остроумовым 25) (в 1876 г.) высказан взгляд, что падение давления и расширение сосудов при депрессорном раздражении обязано не только угнетению констрикторов, но и прямому возбуждению дилятаторов. Он показал, если раздражать смешанный нерв, напр. ischiadicus, индукционным током умеренной силы, с равномерными
паузами около 5 секунд, то обнаружится влияние сосудорасширяющих волокон (Hemmungsfasern), тогда как тетанизация этого нерва приводит в возбуждение вазомоторныя волокна. При перерезке нервнаго ствола возбудимость вазомоторных волокон (вазоконстрикторов) падает скорее, чем задерживающих волокон,—вследствие чего после перерезки нерва, дня через 3—4 возбудимость вазомоторов почти уничтожена, и тетанизация вызывает не сужение сосудов, как при свежеперерезанном нерве, но расширение. В заключение своей работы Остроумов говорит, что активное расширение сосудов под влиянием депрессорнаго раз. дражения—для кожи—факт строго доказанный. Происходит ли при депрессорном раздражении возбуждение сосудорасширяющих волокон внутренностей, —вопрос, еще подлежащий обследованию. (Существование сосудорасширяющих волокон в n. ischiadicus было доказано до Остроумова Goltz’ем 1) 1874 г.).
За работой Остроумова последовал целый ряд изследований в указанном им направлении. Laffont 56) в 1870 г. сделал сообщение о сосудорасширяющих нервах для печени, которые, по его наблюдению, проходят в 3-х первых дорзальных корешках; раздражение периф. концов их вызывает усиленный приток крови к печени; с другой стороны, перерезка их уничтожает на печени эффект депрессорнаго раздражения. Депрессор (и отчасти vagus у собак) возбуждает лежащия в продолгов. мозгу центры вазодилятаторы, сосудорасширяющия волокна которых идут в спинном мозгу до высоты первых грудных нервов, затем оставляют спинной мозг чрез 3 первые дорзальные корешка и вступают оттуда в пограничную симпатическую цепь—и затем в n. splanchnicus.
Rose-Bradford 48) изследовал ход сосудорасширителей для почек. Раздражая после интрадуральной перерезки задних корешков экстрадуральные периферические концы их, он нашел, как и Остроумов 25), что с помощью прерывистаго тока различнаго ритма можно в одном и том же нерве обнаружить как констрикторные волокна, так и диля- таторные. Констрикторный эффект получается при числе ударов от 50 до 5 в секунду, не менее. Раздражая периферии. концы задн. корней от 6-го дорзальнаго до 2-го люмбальнаго-при таких условиях автор получал повышение давления и уменьшение, —сокращение почки. Но уже и при этих условиях он, при раздражении некоторых корешков, получал легкий вазодилятаторный эффект на почках. Изследуя 6-ой дорзальный нерв, автор убедился, что он несет к почкам лишь малое количество сосудорасширяющих волокон, а что большая часть их идет к другим брюшным внутренностям, почему расширение почек при раздражениях этих корней следует разсматривать как пассивное, вследствие повышения давления. Раздражение задних корешков 8 и 10 дорзальн. вызывало расширение почки без повышения давления, при чем наблюдались случаи, где увеличению почки предшествовало ея сокращение. Далее автор отмечает, что, при замедлении ритма с 50 уд. в 1 сек. до 5, наступало удлиннение латентнаго периода, хотя повышение давления и сокращение почек было прежнее. Только если раздражение применялось—1 удар в 1 или 2 сек., автор мог отметить значительное увеличение почек без одновременнаго подема давления, и иногда даже наблюдалось легкое падение давления. Особенно ясныя явления почечнаго расширения наблюдались при раздражении 11—13 дорзальных нервов. В другом ряде опытов Bradford изследовал раздражение прерывистым током различнаго ритма n, splanchnici. При раздражении пер. конца этого нерва (выше 11 ramus communicans) частым прерывистым током, он получал сокращение почек и повышение давления, при раздражении же медленным ритмом получалось постепенное падение давления от 5 до 20 мм. Hg., и кривая имела большое сходство с кривой депрессорнаго раздражения. Почка во время раздражения сморщивалась, —во время же подема давления увеличивалась. Это уменьшение обема, по автору, чисто пассивное, вследствие значительнаго расширения соседних сосудистых областей. Автор из своих опытов приходит к заключению, что n. splanchnicus содержит волокна, как сосудосуживающия, так и сосудорасширяющия для брюшных сосудов и для почек. Раздражение в большом числе случаев вызывало сморщивание почки, иногда не получалось никакого эффекта, или даже увеличение почки, почему автор приходит к выводу, что при депрессорном раздражении сосуды почки расширяются, хотя в умеренной степени, но что эта вазодилятация не может повести к заметному увеличению органа в виду того, что расширяются сосуды других сосудистых областей и воспринимают в себя много крови Johansson 57) нашел сосудорасширяющия волокна в n. splanchnico, которыя подходят к сосудам кишечных стенок.
По Pal’ю 58), при раздражении периф. отрезка n. splanchnici весьма слабым фарадическим током (не влияющим на повышение давления), наступает усиленное вытекание крови из вен pancreatis—в 2 или 3 раза более обычнаго, при другой же силе тока, которая уже вызывает повышение кров. давления, наблюдается замедление оттока крови после латентнаго периода в 10—15 сек. Автор полагает, что splanchnicus содержит для pancreas, как констрикторы, так и дилятаторы, причем последние реагируют на слабое раздражение, а констрикторы на более сильнее.
Cavazzanu и Manca 59) на переживающей печени нашли, что для сосудов системы ѵ. Portae вазоконстрикторы проходят в n. splanchnicus и в рl. Coeliacus, а вазодилятаторы в n. vagus. Асфиксия вызывает сокращение сосудов; но если система ѵ. Portae исключается, и кровообращение поддерживается только в системе печеночной артерии, тогда, вследствие асфиксии, происходит расширение сосудов, но только если vagi целы. Поэтому автор делает вывод, что vagus, повидимому, для кровеносных путей в печени содержит вазодилятаторы. Сосудорасширяющее действие наблюдалось также при раздражении plexus Coeliacus François Franck и Hallion 60) работали над иннервацией сосудов кишек. С помощью особаго метода (волюмометрическаго) они нашли, что раздражение г. communicantes от 5 дорзальнаго до 2-го люмбальнаго нерва производит уменьшение обема jejuni, ilei, частью colonis, причем уменьшение обема этих областей сопровождалось повышением общаго кров. давления.
Относительно вазодилятаторов авторы говорят, что им удалось без какого либо особаго метода доказать их в каждом нерве, который содержит также вазоконстрикторы: так раздражение 11 и 12 дорзальн. и 1 люмбальн.r. communic. дает, после незначительнаго начальнаго сужения, отчетливое расширение сосудов кишечника и почек, при чем это расширение сопровождается в соответствующей степени падением давления. Иногда расширению предшествует только очень незначительное сокращение сосудов или же его не наблюдается современно. Эти случаи должны доказывать активный характер расширения, особенно если расширение не сопровождалось повышением давления. При раздражении ц. к. vagi (депрессора) авторы отмечают расширение сосудов кишек и почек Fr. Franck и Hallion из своих опытов заключают, что сосудорасширяющия волокна содержатся вместе с сосудосуживающими в большом числе в rami communicantes 3-х последних дорзальных и 2-х первых люмбальных нервов и в значительно меньшей степени в 7— 9 — rami communicantes Arthur Biedl 53), изучая иннервацию надпочечников, с помощью весьма кропотливаго, но и весьма точнаго метода, пришел к заключению, что увеличение вытекания венозной крови из надпочечников, при раздражении пер. к. перерезаннаго n. splanchnici, должно обусловливаться активным расширением сосудов, вследствие возбуждения сосудорасширяющих волокон, а не простым выдавливанием крови из органа, в силу повышения давления. Доказательством этого является разница в вытекания крови из вен надпочечника и вены напр. бедренной при раздражении периф. конца n. splanchnici и особенно то, что увеличенное вытекание крови из вен надпочечников продолжается и в то время, когда давление начинает понижаться, параллельно чему изменяется и вытекание крови из бедренной вены. Далее автор говорит, что только при принятии предположения, что в стволе n-ѵи splanchnici проходят к надпочечникам сосудорасширяющия волокна и гиперемия надпочечников обусловливается активной вазодилятацией, будет понятно, почему последняя наступает так быстро при начале раздражения, постепенно усиливается и оканчивается, и не зависит от хода кривой кров. давления еще некоторое время по прекращении раздражения. Последнее явление, т. е. усиленное вытекание крови, при одновременном падения давления, автор считает особенно доказательным, так как более низкое давление, по мнению автора, должно чисто механически оказывать противоположное действие; из опытов же Frey’я замечает автор, известно, что сосудорасширяющия волокна обладают довольно продолжительным последействием (Nachwircung). Автор на основании своих опытов приходит к выводу, что сосудорасширяющие нервы для внутренностей оставляют спинной мозг чрез передние корешки преимущественно нижняго грудного отдела, достигают чрез rami communicantes пограничнаго симпатическаго ствола, вступают в n-ѵи splanchnici и чрез них снабжают внутренности. Обследованными в этом отношении в настоящее время являются тонкия и толстыя кишки, печень, почки, pancreas и надпочечники. Дилятаторы проходят в смешаных нервах, содержащих и констрикторы, отчасти даже в преобладающем количестве. Депрессорное действие в высокой степени вероятно является следствием рефлекторнаго возбуждения вазодилятаторов внутренностей.
Считаю необходимым здесь же указать на прореферированныя уже выше работы Чирвинского 18-84), доказывающия существование центра сосудорасширителей, возбуждающагося при раздражении депрессора, Gley et Charrin'a 36), по наблюдениям которых, под влиянием введения в организм растворимых продуктов жизнедеятельности bac. руосианеи, уменьшается возбудимость сосудорасширяющаго центра и на работы Bayliss'a 46-52), который определенно высказывается за возбуждающую центр сосудорасширителей функцию депрессора.
Уже из опытов Остроумова 25) (расширение кожных сосудов при раздражении депрессора) и Bayliss'a 45) (расширение сосудов всех органов и членов тела при депрессорном раздражении) мы знаем, что при раздражении ц. к. депрессора происходит расширение сосудов периферии, что легко наблюдать с помощью плетисмографическаго метода. Мы воспользовались этими данными для решения поставленной себе задачи. Мы поставили себе целью получить рефлекс на сосудорасширители при раздражении vagodepressor’a и затем, устранив влияние вазоконстрикторов, перерезкой сосудосуживающих волокон, выяснить, зависит ли это сосудорасширение только от угнетения депрессором центра вазоконстрикторов или и от возбуждения центра вазодилятаторов. Если сосудорасширение, при раздражении депрессора, зависит только от перваго условия, то при перерезке сосудосуживающих нервов—оно должно исчезнуть, если же в нем принимает участие возбуждение центра вазодилятаторов, —то мы получим дальнейшее расширение сосудов и при перерезанных сосудосуживателях изследуемой области.
Одним из удобных органов для работы с рефлексом на сосуды нам казался язык и, именно, но тем соображениям. что иннервация сосудов этого органа в настоящее время изучена весьма подробно. Мы знаем на основании целаго ряда работ (Ѵиlриап, Остроумов, Kendal und Luchin ger, Luchinger, К. Дзедзюль, Анреп и Цибульский, Изергин [2]), что язык имеет свои сосудорасширители и сосудосуживатели в виде отдельных изолированных стволов. Особенно важной в этом отношении является тщательная работа д-ра П. Изергина 61-62) из лаборатории проф. Н. А.Миславскаго, произведенная по весьма кропотливому методу подсчета вытекающих капель крови из язычной вены. Автор этой работы доказывает несомненными данными, что n. lingualis—дилятатор черепного происхождения; возможно, что в нем имеются и симпатическия волокна "от шейнаго sympatici, но их минимальное количество; n. glossopharyngeus также дилятатор черепного происхождения, что установлено уже Vulpian’ом [3]); n. hypoglossus—сосудосуживатель для языка, получающий свои сосудодвигательныя волокна из шейнаго n-vi sympatici. Относительно вопроса откуда, n. lingualis получает свои сосудорасширяющия волокна, автор высказывается только предположительно, в виду того, что, по независящим оть него условиям, он мог поставить только один опыт в этом направлении. Указав, что n. lingualis может получать сосудорасширяющия волокна от одного из трех нервов: n. trigemini, n. facialis и n-vi glossopharyngei, автор останавливается на происхождении этих волокон от n-vi glossopharyngei—(от n-vi glossopharyngei чрез n. timpanicus в барабанное сплетение, отсюда чрез n. petro- sus superficialis minor в gangl. oticum и в язычный нерв, частью же чрез анастомотическую веточку от pl. timpani- cus к gangl. geniculi, отсюда в n. facialis и chorda timpani. и в n. lingualis). Разрушив термокаутером у кошки среднее ухо, с целью повредить там n. facialis, автор через 3 недели. при раздражении периф. конца lingnalis оперированной стороны, не получал совершенно сосудорасширяющаго эффекта, раздражение же нерва другой стороны вызывало сильное покраснение иннервируемой им области. Это обстоятельство, что на языке мы имеем нервные стволы, выполняющие определенную или сосудорасширяющую, или сосудосуживающую функцию, почему по желанию мы можем устранить те или другие из иннервации языка, делает особенно пригодным этот орган для наших целей. Другим обстоятельством, заставившим нас остановиться на изследовании именно этого органа, было то, что Bayliss 46), при раздражении ц. к. vagi, получил только намеки на расширение сосудов языка, что дало повод Cyon'у писать, (les Nerfs du coeur 19), что Bayliss, при раздражении депрессора, не получил сосудорасширяющаго эффекта на языке.
Аппарат, с помощью котораго мы следили за изменением обема языка, resp. егокровонаполнением, уже описан в работе д-ра И. Н. Быстренина 63).
Главную трудность при пользовании этим аппаратом составляет удаление воздуха из кондомов и, вообще, из всей системы, а удалять его следует по возможности тщательно, так как, если в кондомах будет много воздуха, можно не получить никаких результатов даже при самых сильных прямых раздражениях нервов, а не только при рефлекторных изменениях в кровонаполнении органа. Мы пробовали применять для своих целей на языке аппарат с воздушной передачей Анрепа и Цибульскаго 64), которым, между прочим, пользовался и Bayliss, но должны сказать, что этот аппарат, повидимому, регистрирует лишь крупныя изменения обема. Весьма возможно, что при прямых раздражениях чувствительных нервов этот аппарат будет вполне пригоден, но там, где приходится улавливать незначительныя изменения в обеме, по нашему мнению, аппарат этот мало удобен и наша система с водяной передачей значительно чувствительнее. Для демонстрации чувствительности нашего прибора я привожу здесь две кривых, полученных при прямом раздражении периферическаго конца n-vi lingualis и n-vi glossopharyngei.
Кривая 2-ая.
Опытъ 11 декабря 1907 года, собака. Перерезаны оба nn. vagi, n. sympatic. sin. n. glossopharyngeus sin., n. lingualis sin. Раздражение периф. конца n. glossopharyngei sin p. c. 100. Вверху плетисмографическая кривая языка, — 1-ая линия внизу отметчик раздражения (сигнализ Depretz) и затем отметчик времени. Время отмечается каждую секунду.
На этой кривой хорошо видно, насколько чувствителен применявшийся нами аппарат. При раздражении периф. конца n. glossopharyngei происходит резкое увеличение обема языка, что выражается высоким подемом кривой и появлением на ней дыхательных волн.
Тот же самый эффект, что на кривой 2-ей мы видим и на кривой третьей. Обе кривыя носят совершенно один и тот же характер, но кривая n. lingualis значительно выше, т. е. раздражение n. lingualis вызывает более значительный эффект, чем раздражение n-vi glossogharyngei. Это, повидимому, зависит от того, что в приборе находится та часть языка, которая иннервируется гл. обр. n-vo linguale. (n. glossopharyngeus иннервирует гл. образом корень языка), а не от меньшей сосудорасширяющей функции n-ѵи glossopharyngei. Обе эти кривыя приведены из одного и того же опыта, поставленнаго с целью изучить влияние прямого раздражения n.n. lin gualis и glossopharyngei на сосуды языка и проверить чувствительность аппарата.
Кривая 3-ья.
Опытъ 11 декабря 1907 года, собака. Перерезаны оба nn. vagi, n. sympatici sin., n. glossopharyng. sin., n. lingualis sin. Раздраж. периф. конца n. lingualis sin. pc. 100 (обозначения те же, что и на 2-й кривой).
Приготовление животных к опытам состояло в следующем. Захлороформированное животное привязывалось к столу и, после трахеотомии, иммобилизировалось введением в бедренную вену раствора кураре и однопроцентнаго солянокислаго морфия. Затем открывались на шее нервные стволы nn. vagi и nn. sympatici. Vagi перерезались и центр.
конец леваго vagi брался на шелковую лигатуру. Если встречался изолированный депрессор (морфологический), он также перерезывался и ц. к. его тоже брался на лигатуру. Sympatici до времени оставались нетронутыми. Иногда, по условиям опыта, заранее отпрепаровывался n. lingualis один или оба, но чаще они открывались уже перед моментом их раздражения. Затем накладывался на язык описанный выше плетисмограф, наполнялся водой 38°С. и соединялся с капсулой Marey’я. Далее открывалась бедренная артерия, по возможности ближе к пупартовой связке, перевязывалась и в центр. конец ея ввязывалась канюля, соединявшаяся каучуком с сфигмоскопом и ртутным манометром. Другой каучук соединял сфигмоскоп с второй Мареевской капсулой, рычаг которой писал непосредственно под рычагом первой капсулы, регистрирующей изменения языка. Благодаря такой постановке опыта, мы одновременно получали двойную запись изменений обема языка и изменений в ходе кривой кров. давления, и кроме того могли знать абсолютную высоту кров. давления во всякое время по ртутному манометру. Раздражение и время отмечались сигнализаторами Depretz’a, при чем время отмечалось каждую секунду. Для раздражения употреблялся санный аппарат Du Bois Reymond'a, соединенный с аккумулятором (1,9 вольта). Искуственное дыхание поддерживалось в течение всего опыта мехами, приводимыми в движение электромотором. Кураризация животнаго всегда была самая легкая, необходимая для устранения произвольных движений.
Все опыты наши проделаны на кошках и собаках. Придерживаясь высказаннаго выше взгляда на депрессор, мы предпочитали работать на этих животных, в виду того, что величина их более значительна, что представляет серьезное облегчение при препаровке; далее эти животныя гораздо лучше выносят сложныя оперативныя манипуляции и, наконец, один из самых главных мотивов тот, что в Казани совершенно нельзя достать порядочнаго кролика, в то время как кошки и собаки получаются крайне легко и за крайне дешевую цену.
Всех опытов - в обеих частях своей работы я поставил около пятидесяти. Не считая нужным помещать в работе всех протоколов опытов, так как это было бы лишним балластом, — я приведу только несколько протоколов, кривыя из которых помещены в тексте.
Чтобы не затруднять чтения работы длинными страницами протоколов, я счел за более удобное поместить их в конце работы в виде отдельной главы.
V.
Отношение депрессора к сосудодвигательным центрам. Собственныя наблюдения.
При указанной выше постановке опытов, раздражая ц. к. vagodepressoris sinistri, мы всегда почти могли отметить изменение сосудов изследуемой области, resp. изменение обема ея. Это изменение сосудов всегда состояло в расширении их, но не всегда это регистрировалось в виде одних и тех же явлений, почему мы все типичныя картины сосудорасширения, нами наблюдавшияся, опишем подробнее.
Обычный и самый типичный эффект раздражения ц. к. n-vi vagodepressoris, состоит в том, что, во время раздражения его, кривая языка повышается, в то время как общее кров. давление падает, соответственно чему и кривая сфигмоскопа спускается, т. е. одновременно с падением кров. давления происходит расширение всех сосудов и в частности сосудов языка. Следующия кривыя 4-ая и 5-ая вполне подтверждают это наблюдение.
Кривая 4-ая.
0пыт 14 ноября 1907 г. кошка. Вверху кривая, показывающая изменение обема языка, вторая кривая—кр. кров. давления (сфигмоскоп в art. сrur.). Далее отметчик раздражения—и отметчик времени. Раздраж. ц. к. vagodepressoris sin. р.с. 120.
На этой кривой интересно, между прочим, то обстоятельство, что расширение сосудов языка начинается несколько раньше падения общаго кров. давления. На плетисмографической кривой, после подема ея, одновременнаго с падением давления, имеется еще второй, более легкий подем, зависящий от возвращения кр. давления к прежнему уровню.
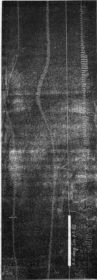
Кривая 5-ая.
0пытъ 30 ноября 1907 года, собака. Перерезаны оба nn. vagi и n. sympaticus sin. Вверху—плетисмографич. кривая языка, затем кривая кров. давления (сфигмоскоп в art. crur.), отметчик раздражения и отметчик времени Depretz’a). Время отмечается каждую секунду. Раздраж. ц. к. vagi sin. р. с. 80.
На этой кривой, как и на кривой 4-ой видно, что, при раздражении ц. к. vagodepressoris sin., при падении кров, давления, происходит увеличение обема языка, resp. расширение его сосудов. Кривая эта отличается от кривой 5-ой тем, что расширение сосудов в данном случае началось не только не раньше начала падения кр. давления, но значительно позже, именно, в тот момент, когда давление спустилось до самаго низкаго уровня. Кроме того на кривой кров. давления мы видим, что давление начинает возвращаться к прежнему уровню еще во время раздражения, т. е. явление, которое, по Bayliss’y, обычно наблюдается при раздражении ц. к. vagi, а по нашему мнению, зависит от несоответствующей силы тока для депрессорных волокон, возбуждающей одновременно и прессорныя волокна n. vagi.
Обе вышеприведенныя кривыя и протоколы опытов, из которых эти кривыя взяты, без сомнения указывают на то, что при раздражении ц. к. vagodepressoris происходит расширение сосудов периферии.
Иногда при раздражении центральнаго конца n. vagodepressoris подема кривой языка не наблюдается, однако в таких случаях на кривой языка почти всегда можно заметить увеличение дыхательных и пульсовых волн, если они существовали до раздражения и появление их, если они отсутствовали. Появление волн без сомнения говорит за расширение сосудов языка и зависит, по обяснению Bayliss’a 46), от того, что сердцу значительно легче прогонять волну крови в расширенные сосуды, чем в суженые. Что касается отсутствия существеннаго, видимаго признака сосудорасширения—увеличения обема, то обяснения этого надо искать в том громадном отливе крови в брюшныя внутренности, который происходит при раздражении депрессора. На этот громадный отлив указывает Cyon (Les Nerfs du Coeur 19), указывает также и Bayliss 46), по наблюдениям котораго он сильно затемняет сосудорасширяющий эффект на периферии. Если бы при раздражении депрессора происходил только упомянутый отлив крови в сосуды брюшной полости и сосуды периферии реагировали бы на это только пассивно, то следовало бы ожидать уменьшения обема языка и падение кривой его при полном отсутствии дыхательных и пульсовых волн, т. е. должны бы были наблюдаться те явления, которыя Dastre et Morat 28) могли заметить на наружном ухе кролика, во время раздражения depressoris; но так как этого не происходит, то мы вправе допустить, что в тех случаях, где при раздражении депрессора не происходит увеличение обема органа, при падении общаго кров. давления, имеется расширение сосудов его, компенсирующее сужение их, которое должно было бы произойти, вследствие отлива крови в брюшную полость. Для доказательства сказаннаго привожу кривую 6-ю.
Кривая 6-ая.
Опытъ 30 ноября 1907 года, собака. Перерезаны оба nn. vagi и n. sympatic. sin Обозначения прежния; раздраж. ц. к. vagi sin. р. с. 80.
Таким образом часть нашей задачи решена: раздражение ц. к. vagodepressoris вызывает расширение сосудов. Теперь возникает вопрос, составляющий сущность нашей работы,—отчего это зависит—от угнетения сосудосуживателей или от возбуждения сосудорасширителей? Путь для решения этого вопроса лежит в устранении из иннервации языка сосудосуживателей путем перерезки шейнаго sympatici, посылающаго сосудодвигательныя волокна в сосудосуживающий нерв языка—в n. hypoglossus (Vulpian, Изергин).
Влияние устранения сосудосуживателей сказывается на кровонаполнении сосудов органа увеличением обема его, вследствие падения тонуса сосудов, соответственно чему кривая языка повышается в момент перерезки шейнаго sympatici и затем постепенно выравнивается. Это хорошо демонстрирует кривая 7-ая.
Кривая 7-ая
Опытъ 3 декабря 1907 года, собака. Перерезаны оба nn. vagi и n. sympatic. sin. Момент перерезки праваго n. sympatici.
Кроме того, на этой кривой надо отметить усиление дыхательных волн, что опять таки говорит за|сосудорасширение.
Если расширение сосудов при раздражении депрессора зависело бы только от угнетения центра вазоконстрикторов, то, после перерезки шейнаго симпатии. нерва, депрессорное раздражение должно остаться без эффекта на языке, но на деле оказывается, что, после перерезки sympatici colli, мы, при раздражении депрессора, получаем прежний сосудорасширяющий эффект, что в высокой степени хорошо доказывает кривая 8-ая.
Кривая 8-ая.
Опытъ 3 декабря 1907 года, собака. Перерезаны оба nn. vagi и nn. sympatici. Вверху кривая языка, затем Кривая кров. давления (сфигмоскоп в art. erar.), отметчик раздражения (Depretz) и отметчик времени в секундах (Depretz). Раздражение ц. к. vagodepressoris sin. р. с. 110.
На этой кривой при раздражении ц. к. vagodepressoris sin. в течение 26', после перерезки шейных симпатических нервов, мы видим громадный сосудорасширяющий эффект на языке. Отсюда мы имеем полное право заключить, что в сосудорасширяющем эффекте депрессорнаго раздражения не одно только угнетение сосудосуживателей играет видную роль, но и одновременное возбуждение сосудорасширителей. На кривой 8-ой мы должны отметить то обстоятельство, что расширение сосудов языка происходит без одновременнаго понижения давления. Это обстоятельство, в высокой степени интересное, зависит от эксквизитной возбудимости центра сосудорасширителей, именно, что под влиянием депрессорнаго раздражения центр сосудорасширителей пришел в состояние возбуждения прежде, чем успел обнаружиться какой либо депрессорный эффект на общем кровяном давлении. На спускающейся части кривой имеется целый ряд более мелких вторичных волн, зависящих, повидимому, от того, что сильно возбужденный центр сосудорасширителей препятствует сосудам вернуться к прежнему своему состоянию, т. е. от борьбы антагонистов—сосудорасширителей и сосудосуживателей.
Кривая 9-ая.
Опытъ 10 ноября 1907 года, кошка. Раздражение ц. к. vagi siu. р. с. 125
Вышеприведенная кривая, — расширение сосудов при депрессорном раздражении после перерезки симпатич. шейных стволов, прямо указывает навозбуждение центра дилятаторов. Далее мы сейчас приведем кривую, где этой перерезки не было, но где имелся, в силу условий опыта, паралич центра вазоконстрикторов почти полный, так что кров. давление все время держалось на самых низких цифрах и где мы имеем ясное доказательство сосудорасширяющаго эффекта на языке при раздражении ц. к. vagodepressoris. (См. кривую 9-ую).
На этой кривой мы видим, что во время раздражения леваго вагодепрессора происходит ни только не повышение кривой языка, но наоборот падение ея. Но на этой кривой видно, что передававшияся уже до раздражения ц. к. vagodepressoris помимо дыхательных даже пульсовыя волны значительно усиливаются. По каким то невыясненным моментам у животнаго этого опыта весьма скоро наступил паралич центра вазоконстрикторов, может быть под влиянием хлороформа, м. б. больших доз кураре или вследствие того, что животное было не молодое и очень жирное. Факт только тот, что у этого животнаго центр сосудодвигателей плохо реагировал даже на сильныя раздражения чувствительных нервов. Однако и при почти полном параличе сосудосуживателей мы видим, что депрессорное раздражение вызывает дальнейшее падение давления, т. е. дальнейшее расширение сосудов, за что говорит также и весьма отчетливое усиление пульсации на кривой языка (Bayliss 46) Эта кривая подтверждает вполне наблюдения Чирвинскаго 18-34), что вазодилятаторный центр обнаруживает свое действие значительно лучше при параличе своего антагониста—центра вазоконстрикторов.
Т. о., анализируя вышеприведенныя кривыя, мы видим, что сосудорасширение на периферии вследствие депреесорнаго раздражения существует и тогда, когда сосудосуживатели устранены, за что по нашему мнению особенно убедительно говорят последняя кривая, где наблюдается паралич центра вазоконстрикторов и опыт с перерезкой шейных симпатических стволов. Другими словами не одно угнете- ние сосудосуживателей обусловливает расширение сосудов и падение кров. давления, как это полагают Суоп и Ludwig и придерживающиеся их взгляда авторы. но и одновременное возбуждение сосудорасширителей, чего придерживаются Остроумов и другие вышеуказанные авторы (Laffont, Rose Bradfordt, Pal, Johansson, Cavazzanni, et Manca, François Franck et Hallion, Biedl, Bayliss, Чирвинский и др).
Выше мы уже указывали, что nn. linguales и nn. glossopharyngei являются чистыми сосудорасширителями для языка. Теперь, когда мы выяснили, что расширение сосудов этого органа происходит при депрессорном раздражении рефлекторным путем, независимо от того целы сосудосуживатели или нет, для нас было интересно показать демонстративно участие указанных сосудорасширяющих нервов в этом рефлексе на языке. В том же опыте 3 дек. 1907 г., после того как был получен при перерезанных симпатических нервах ясный рефлекс на сосуды языка, были перерезаны nn. lingualis и затем повторено раздражение ц. к. n. vagi sin. Эффект получился отрицательный—на кривой языка не произошло никаких изменений, следовательно этот рефлекс исчез. (См. кр. 10-ую на стр. 84). Т. о. из этого вытекает, что рефлекс на сосудорасширители языка идет путем церебральных нервов, именно, lingualis et glossopharyngei, а кроме того, это наблюдение подтверждает выводы Изергина 61), что сосудорасширяющия волокна n. lingualis чисто церебральнаго происхождения и, повидимому, не имеют никакого отношения к симпатич. нервной системе. В этом опыте nn. glossopharyngei оставались целы. Сосудорасширяющий рефлекс на языке, следовательно мог проходить через эти нервы, но его не наблюдалось, так как, вследствие очень значительной величины языка собаки, в плетисмограф укладывалась, только передняя его треть, иннервируемая почти исключительно n-ѵо linguale.
Кривая 10-ая
Опытъ 3 декабря 1907 года, собака. Перерезаны оба nn. vagi. Оба nn. sympatici, оба nn. linguales. Раздражение ц. к. n. vagi sin. p. с. 120.
Я хочу несколько остановиться еще на этом опыте 3 декабря 1907 г., так как при этом были получены крайне любопытныя данныя, именно, если мы раздражали периферический конец n. vagi, то получали остановку сердца и громадное понижение кров. давления, которое быстро возвращалось к прежнему уровню по прекращении раздражения. На кривой языка, соответственно времени возвращения пониженнаго давления к первоначальному уровню, наблюдался громадный подем и появление дыхательных волн. Затем, спустя некоторое время, когда уровень кривой достигал прежней высоты—на ней появлялся целый ряд довольно высоких волн, сопровождавшихся каждый раз усилением передачи дыхательных волн. Эта игра сосудов продолжалась каждый раз около 3 х минут.
Я не считаю себя в праве высказываться решительно относительно этого наблюдения, может быть мы имеем в данном случае дело с активным возбуждением самих стенок сосудов, вследствие быстраго растяжения их кровью при возвращении пониженнаго кров, давления к прежнему уровню, но м. б. тут имеет место и другое обяснение, что быстрая смена анемии головного мозга (при падении давления) последующей гиперемией его (при возвращении давления к прежнему уровню) является быть может одним из моментов, способствующих возбуждению центра вазодилятаторов. Принимая во внимание, что в данном опыте вазодилятаторы были особенно возбудимы, что надо отнести на счет индивидуальности животнаго этого опыта, я думаю, что второе предположение имеет за собой некоторыя основания.
Кроме того, мы много раз могли наблюдать быструю смену низкаго кров, давления высоким, но никогда не наблюдали при этом таких периодических волн на кривой языка, которыя могли бы зависеть от самопроизвольной игры стенок сосуда. Далее в этом же опыте, при раздражении ц. к. vagi sin. очень слабыми токами, получался ряд отлогих, очень высоких волн на кривой языка, сопровождавшихся всегда увеличением амплитуды дыхательных колебаний. Появление этих волн можно обяснить только длительным сохранением возбуждения в центре сосудорасширителей и борьбой с ним его антагониста—центра сосудосуживателей, т. е. что длительное возбуждение в центре вызывает расширение сосудов, но временами возбуждение центра сосудосуживателей берет перевес—и тогда получается понижение кривой до первоначальнаго уровня. Но так как возбуждение в центре сосудорасширителей сохраняется, то он выбивается из под влияния своего антагониста — и в результате опять волны расширения на кривой языка. Вот в виду того, что волны расширения сосудов языка после периф. раздражения vagi имеют большое сходство и даже идентичны с теми волнами, которыя получены после раздр. ц. к. vagi слабыми токами, я и считаю возможным предположить, что появление этих волн нельзя отнести на счет периферической игры стенок сосудов, но что их надо считать за волны центральнаго происхождения, возникающия при возбуждении сосудорасширяющаго центра. А если это так, то и момент, вызывающий их появление, можно считать моментом вызывающим возбуждение центра сосудорасширителей. Однако я еще раз повторяю, что высказаться определенно по этому вопросу не могу, так как не имею достаточно данных за или против центральнаго происхождения этих волн.
Разсматривая приведенныя кривыя, мы везде должны отметить активный характер расширения сосудов языка, за что говорит самая форма кривой повышения и появление дыхательных или пульсовых колебаний. Предполагать расширение сосудов чисто механическое, вследствие растяжения приливом увеличеннаго количества крови, мы не можем, так как такое расширение имеет совершенно ивой характер. На кривой языка рычаг в таком случае чертит волну, параллельную повышению давления, на которой никогда не наблюдается передачи пульсовых или дыхательных волн; если же таковыя и существовали до раздражения, то во время подтема кров, давления они исчезают. Все сейчас сказанное, хорошо демонстрируется на кривой 11-ой.
Кривая 11-ая.
Опытъ 11 декабря 1907 года, собака. Перерезаны оба nn. vagi, оба nn. sympatici, n. lingual, sin., n. glossopharyng sin. раздр. ц. к. vagi sin. p. c. 60.
На этой кривой мы видим сильный подем прессии, вследствие раздражения очень сильным током центральнаго конца n. vagi sin. и параллельно подему давления—подем на кривой языка, причем дыхательныя и пульсовыя волны отсутствуют.
Такой же параллелизм между кривой языка и кривой кровяного давления существует и в тех случаях, когда оба возомоторные центра парализованы, что наблюдается обычно в конце опытов, при истощении животнаго, или при чрезмерном отравлении его кураре. В таких случаях обычно сосуды бывают расширены ad maximum и отчетливо передают каждую пульсовую волну. Раздражение заведомых расширителей напр. периф. конца n-vi lingualis или не вызывает дальнейшаго расширения сосудов, или только весьма слабое. Возникающее при подобном состоянии центров случайное повышение давления обычно сопровождается параллельным повышением кривой языка, но характер этого повышения, помимо своеобразной параллельной формы, отличается от волн активнаго расширения тем, что в последнем случае дыхательныя и пульсовыя волны на высшем пункте кривой значительно увеличиваются, тогда как на волнах перваго рода, при maximum’е их, передача дыхательных и пульсовых волн значительно уменьшается, что зависит от чрезмернаго растяжения уже расширенных ad maximum сосудов притоком крови, вследствие чего амплитуда колебаний их стенок становится значительно меньше. По мере возвращения такого случайно повышеннаго давления к прежнему уровню — амплитуда дыхательных и пульсовых волн на кривой языка возвращается к прежним размерам. Все сейчас сказанное хорошо демонстрируется кривой 12-ой.
На этой кривой констатируется почти полный паралич вазомоторных центров. Сосуды расширены до maximum’a. Раздражение п. к. n-ѵи lingualis вызывает едва заметное повышение кривой языка, в то время как случайное повышение давления производит высокий подем кривой языка.
Кривая 12-ая.
0пыт 30 ноября 1907 года, собака. Оба un. vagi и nn. sympatici перерезаны. Конец опыта. Давление очень низкое Раздраж. периф. конца n-vi lingualis sin. pc. 80.—Верхняя кривая—плетисмограф. с языка, вторая —кров. давл. в art. cruralis.
VI.
Выводы.
Анализируя кривыя наших опытов, полученныя путем регистрации изменения обема языка, мы должны констатировать факт увеличения обема изследуемаго органа во время депрессорнаго раздражения, т. е. расширение сосудов его. Это наше наблюдение вполне подтверждает обстоятельныя изыскания Bayliss's 46-52) относительно расширения сосудов периферии во время депрессорнаго раздражения. В частности мы можем сказать, что этот эффект наблюдается в весьма значительной степени и на языке, почему заявление Cyon'a, что сосудорасширяющаго эффекта на языке нет, положительно не верно. Bayliss 46) мог заметить расширение сосудов языка, но у него получился лишь незначительный эффект [4]) на кривой весьма вероятно потому, что он работал с аппаратом с воздушной передачей Анрепа и Цибульскаго, который, как мы убедились сами, весьма мало пригоден для регистрации легких изменений в обеме органа. Было бы в высокой степени странно, если бы, в то время как сосуды всей периферии расширяются при раздражении депрессора, — один только язык оставался исключенным из сферы влияния его, причем этот орган имеет особенно хорошо развитую систему сосудов и играет весьма значительную роль в регуляции тепла у животных, не имеющих кожных потовых желёз, как, например, у собаки. Уже а priori следовало предположить значительное участие этого органа в акте расширения сосудов периферии—и, как удалось нам выяснить, — предположение это оказалось совершенно верным. Поэтому мы совершенно согласны с мнением Bayliss'a 46), что, так называемый, закон Dastre et Morat 28), относительно антагонизма между абдоминальным и кожным кровообращением, во время раздражения депрессора, не верен и не только для кролика, как это предполагает Bayliss, но и для кошки и собаки, да, наверное, и вообще для всякаго животнаго. Мнение Stelling'a 2), что голова, шея и передния конечности животнаго не подлежат влиянию депрессора, после работы Bayliss'a и наших опытов, безусловно не верно.
Что сосудосуживатели играют видную роль в регуляции кровеобращения языка хорошо демонстрируется кривой 7-ой, на которой перерезка их вызывает значительное повышение кривой языка, след. увеличение его кровенаполнения, вследствие устранения того тоническаго влияния, которое они постоянно оказывают на сосуды. Но дальнейшие наши опыты дают очевидное доказательство, что расширение сосудов языка зависит не от одного только временнаго угнетения сосудосуживателей: полное исключение их из иннервации изcледуемаго органа перерезкой шейнаго sympatici, который посылает сосудосуживающия волокна в n. hypoglossus (Изергин 61), показало, что сосудорасширяющий рефлекс на языке сохраняется, и что на депрессорное раздражение после устранения сосудосуживателей сосуды языка реагируют нисколько не меньше, чем и до устранения. Эти наблюдения делают несомненным вывод, что депрессорное раздражение вызывает активное возбуждение центра сосудорасширителей и опять таки подтверждают наблюдения Bayliss'а 52) на конечностях, пришедшаго к тому же выводу и тем же путем устранения сосудосуживателей, после чего сосудорасширение всетаки наблюдалось. Т. о. на основании наших опытов мы должны примкнуть к взгляду авторов, принимающих прямое возбуждение расширителей во время депрессорнаго раздражения (Остроумов, Laffont и др.) и прямо отрицательно отнестись к взгляду Cyon'а и его школы, что депрессорное раздражение лишь угнетает центр сосудосуживателей. Суоп идет значительно дальше: он в целом ряде статей прямо отрицает существование центров сосудорасширителей не только в головном, но и в спинном мозгу и называет их иллюзорными центрами („die Annahme eines besonderen Centralorgans für gefässerweiternde Nervenfasern geradezu illusorisch“. — Beiträge zur Phys. der Schilddrüse und Herzens Pflug. Arch. В. 70. 1898 г. стр. 228), а всякое сосудорасширение разсматривает или как возникающее вследствие временнаго паралича центра сосудосуживателей, или как возникающее коллятерально, вследствие сужения сосудов какой либо соседней местности с той областью, где наблюдается сосудорасширение. Взгляд, надо признаться, радикальный, но едва ли справедливый. Если принять взгляд Cyon’a, то, оставляя в стороне вопрос о сосудорасширяющем рефлексе, трудно будет обяснить существование в организме таких заведомых сосудорасширительных нервов, как например lingualis, glossopharyngeus, erigens и др. Если такие сосудорасширители существуют, то необходимо должна существовать нервная клетка, дающая им начало, посылающая по этим нервам соответствующие импульсы, т. е. должен существовать центр, и решительно все равно, где этот центр будет помещаться—в головном ли мозгу, или в спинном. Анатомическая локализация центра не играет существенной роли в этом вопросе, но, повидимому, совершенно справедливо предложение Bayliss’a 46), что бульбарный вазомоторный центр надо считать парным, состоящим из сосудорасширителя и сосудосуживателя.
Принимая теперь уже за вполне доказанный факт, что под влиянием депрессорнаго раздражения происходит расширение сосудов во всех территориях (Bayliss), в частности—в языке, мы должны упомянуть еще те случаи, где во время раздражения депрессора увеличения обема органа не получилось, но мы уже тогда же указали, что в таких случаях надо допустить компенсаторное расширение сосудов, чтобы кривая органа не падала, вследствие громаднаго отлива крови в брюшные внутренности, кроме того появление на кривой языка, до того времени ровной, дыхательных волн прямо говорит за расширение, что принимает также и Bayliss.
Что касается времени обнаружения сосудорасширяющаго эффекта депрессорнаго раздражения на языке, то данныя наши несколько не совпадают с данными Bayliss’a. Последний на конечности всегда наблюдал начало расширения или одновременно с падением кровяного давления, или несколько позднее. Мы при своих опытах видели наоборот, что сосудорасширение на языке весьма часто начиналось несколько раньше начала падения кров. давления, или одновременно с ним и лишь весьма редко несколько позже начала падения кров. давления. Мы не считаем себя в праве делать какие-либо собственные выводы из этого, но высказываем лишь предположение, что такая чувствительность сосудов языка к депрессорному раздражению стоит в связи с той значительной ролью, которую он играет в теплорегуляции некоторых животных.
Признавая при депрессорном раздражении прямое возбуждение центра вазодилятаторов, мы не будем отрицать и одновременнаго угнетения центра вазоконстрикторов. Мы коснемся подробнее этого вопроса в следующей части нашей работы, пока укажем только, что некоторыя кривыя языка дают нам право предполагать, что центры дилятаторов и констрикторов по отношению друг к другу являются антагонистами. Особенно ясно этот антагонизм проявляется в опыте 3 дек 1907 г. (см. раздр. 5 ое и 6-ое). В этом опыте, при раздражении vagodepressoris sin. током при разстоянии катушек 250 мм., при отсутствии падения давления крови, на кривой языка получался несколько раз ряд довольно высоких волн, которыя то исчезали, то появлялись вновь и каждый раз явление это продолжалось более 2 минут. Если принять во внимание, что самостоятельной ритмики, какая наблюдается у сосудосуживателей, у сосудорасширителей не известно,—то придется предположить, что волны эти возникают вследствие того, что центр сосудорасширителей сохраняет возбуждение весьма долгое время и держит в расширенном состоянии сосуды, т. е., что он обладает собственным тонусом, но при этом одновременнаго угнетения центра вазоконстрикторов до полнаго угасания в нем возбуждения нет и сосудосуживатели стараются вернуть сосуды к прежнему состоянию. Эта борьба центров и отражается в виде волн расширения сосудов на языке.
Часть вторая.
I.
В первой половине нашей работы мы пришли к тому выводу, что депрессор вызывает понижение кр. давления и расширение сосудов вследствие возбуждения центра сосудорасширителей. Вторая половина нашей работы посвящена выяснению взаимоотношений между центрами сосудорасширителей и сосудосуживателей при различнаго рода комбинациях совместнаго возбуждения их. Для этой цели мы пользовались изучением изменений в кровяном давлении, происходящих при одновременном раздражении чувствительных нервов и депрессора, которые по отношению друг к другу являются совершенными антагонистами: именно, раздражение ц. к. какого либо чувствительнаго нерва, напр. ischiadici, вызывает сужение сосудов и повышение артериальнаго давления, раздражение же депрессора наоборот—расширение сосудов и падение кр. давления.
Влияние совместнаго раздражения обоих сосудодвигатeльных центров на кровяное давление. Литература вопроса.
Насколько нам известно из литературы, работ, посвященных специально интересующему нас вопросу, совершенно нет. Из авторов, так или иначе затрогивавших этот вопрос, мы можем указать, опять-таки, на Bayliss'a затем на Asher's. Правда, еще существуют работы Latschenberger'a и Dealma и Arendt's, в которых авторы приводят результаты совместнаго раздражения депрессора с чувствительными нервами, но работы эти не только не исчерпывают интересующаго нас вопроса, но даже и не затрогивают его. Тем не менее в виду скудости литературных данных, мы приведем рефераты всех работ более или менее подробно. Latschenberger und Deahna 23) 1876 г. первые производили одновременное раздражение ц. к. депрессора и ц. к. vagi, который они принимали только за чувствительный прессорный нерв. Результаты, полученные ими, состояли в том, что если оба нерва касались электродов, то превалировал эффект депрессора, если же нервы располагались на электродах т. о., что касался электродов один только vagus, а депрессор прилегал к нему, не касаясь электродов непосредственно, — то в результате раздражения проявлялся эффект n. vagi, т. е. повышение кр. давления. В одном опыте, в котором действие ischiadici было извращено (т. е. вместо повышения давления, при раздр. ц. к. его, получалось понижение), присоединение к раздражению ischiadici одновременнаго раздражения праваго депрессора вызывало еще дальнейшее понижение давления. Если при раздражении ц. к. ischiadici—давление возвращалось к нормальному уровню еще во время раздражения, то присоединение раздражения ц. к. vagi вызывало новое повышение, но кривая представляла ряд острых зубов, как при повторных кратких раздражениях, или как при повышении давления, вследствие введения strichnin-curare. Если при понижении давления, во время раздражения ц. к. vagi, перо поплавка чертило нисходящую кривую (у кролика) и в это время прибавлялось раздражение ц. к. ischiadici, то не получалось существенных изменений в кривой.
Arendt 35), желая выяснить вопрос, зависит ли различие в силе действия леваго и праваго депрессора ттого, что левый депрессор содержит больше депрессорных волокон, тогда как левый vagus содержит их меньше, и наоборот правый депрессор содержит меньше депрессорных волокон потому, что правый vagus содержит их больше, сравнивал эффект одновременнаго раздражения обоих нервов левой стороны (депрессор и vagus sin.) с эффектом раздражения обоих нервов правой стороны. В результате автор получил при раздражений нервов правой стороны - повышение давления, а при раздражении нервов левой стороны давление осталось без изменения.
Разбирая обе вышеприведенныя работы, мы должны указать, что работа Arendt'a, как по своим задачам, так и по примененному методу совершенно стоит в стороне от интересующаго нас вопроса, но в работе этого автора имеется некоторая коренная ошибка, состоящая в том, что автор, считая депрессор пучком волокон с строго определенным характером действия, противополагает ему vagus, как содержащий депрессорныя волокна в весьма малом количестве. Что же касается того обстоятельства, что он получил при раздражении нервов правой стороны повышение давления, так это могло зависеть от несоответствующей для депрессорных волокон силы тока, которая у автора не указана. Раздражение нервов левой стороны осталось без эффекта на кр. давлении. Трактовать это отсутствие повышения или понижения давления, как полное отсутствие эффекта безусловно нельзя и вернее всего, что в данном случае так совпали силы раздражения для обоих нервов, что результаты этих раздражений сбалансировались и кр. давление осталось на прежнем уровне. На это явление впоследстии обратил внимание Bayliss.
Latschenberger и Deahna, ставя опыты с одновременным раздражением центральнаго конца депрессора и ц. к. vagi или депрессора и ischiadici, имели в виду только изучение формы кривой кров. давления при подобном комбинированном раздражении. Авторы полагают, что vagus преимущественно производит прессорный эффект, хотя у них почти везде раздражение ц. к. vagi сопровождается наоборот депрессорным эффектом. Постановка опыта с расположением ц. к. нервов vagi и депрессора на электродах по нашему мнению совершенно неудачна: таким путем нельзя выяснить даже изменения в форме кривой кров. давления. Но в наблюдениях авторов есть один очень ценный для нас факт, на который они не обратили внимания, и которому не дали надлежащаго толкования. Факт этот состоит в том, что, при извращении действия ischiadici, при раздражении его центр, конца (т. е. когда получается понижение вместо повышения), присоединение раздражения депрессора вызывает дальнейшее падение давления. Извращение действия чувствительных нервов наблюдается обычно при полном или почти полном параличе центра вазоконстрикторов; следовательно Latscheriberger и Deahna наблюдали действие депрессора при параличе центра вазоконстрикторов, что мы считаем сильным аргументом в защиту того, что депрессор, при раздражении своем, вызывает возбуждение центра сосудорасширителей. На это обстоятельство впервые обращено внимание Чирвинским, высказавшим в своей диссертации (1891), что центр вазодилятаторов особенно отчетливо обнаруживает свое отношение к депрессорному раздражению при параличе своего антагониста—центра вазоконстрикторов.
В остальном наблюдения Latschenberger’a и Deahna над совместным раздражением ц. к. депрессора или ц. к. vagi с раздражением ц. к. ischiadici для нашей задачи чего либо ценнаго не представляют.
Bayliss 46) в своей большой работе о депрессорном нерве посвящает интересующему нас вопросу главу 6-ю (Антагонизм действия на вазомоторные центры). Он нашел, что при одновременном раздражении ц. к. депрессора и прессорнаго нерва—n-vi cruralis anterioris обнаруживается на кров. давлении эффект нерва, раздражаемаго более сильным током, а, по прекращении раздражения, эффект другого проявляется сам собою. Он приводит кривую опыта, в котором раздражение депрессора было значительно сильнее, чем раздражение другого нерва и сообразно с этим наблюдалось падение кровяного давления, но не настолько сильное, как это наблюдалось бы при раздражении одного депрессора без одновременнаго раздражения n-vi cruralis anterioris.
Затем автор приводит кривую, на которой видно, что, благодаря счастливому подбору сил раздражения, противуположные эффекты сбалансировались настолько, что кров. давление сделалось снова нормальным. По поводу этих наблюдений автор говорит, что действительно, кажется, между прессорным и депрессорным действием на центр существует совершенный антагонизм, но что он не решается утверждать, как этот эффект происходит: — дейтвуют ли оба нерва в противоположном направлении на один и тот же центральный механизм, или на различныя части центра, или только балансируют один другой в их тотальном эффекте на кров. давление. Далее автор наблюдал как относится к депрессорному раздражению вазомоторный центр во время асфиксии. Он нашел, что, если раздражать депрессор во время подема кр. давления, вследствие асфиксии кураризованнаго животнаго, вызываемой остановкой искусственнаго дыхания, то чем выше поднимается кров. давление, —депрессорное раздражение дает все меньший и меньший эффект, и на крайней высоте асфиктическаго подема уже нельзя получить какого либо понижения давления, даже при самых сильных раздражениях депрессора. То же самое получается, если во время длительнаго раздражения депрессора от времени до времени прекращать искусственное дыхание, — тогда кривая кров. давления, понижающаяся при депрессорном раздражении, прерывается подемами вследствие асфиксии. Когда затем асфиктическая кровь вновь становится окислороженной возстановлением искусственнаго дыхания,- депрессорный эффект наростает сам собой. При этом кров. давление повышается вследствие асфиксии во время депрессорнаго раздражения до той же самой абсолютной высоты, до какой оно поднялось бы, если бы начало повышаться с более высокой базы—нормальнаго кровяного давления. Это асфиктическое возбуждение центра продолжается иногда значительный период времени после возстановления искусственнаго дыхания; в одном из опытов оно продолжалось 4 мин., прежде чем депрессорный эффект начал снова проявляться.
В противоположность наблюдениям Bayliss'а относительно отсутствия депрессорнаго эффекта во время асфиксии проф. Leon Asher (1906 г.) 55) указывает, что депрессорный эффект во время асфиксии ничем не отличается от такого же при нормальном доступе воздуха в легкия. При одновременном влиянии асфиксии и слабаго депрессорнаго раздражения (предварительно подыскивалась слабейшая сила тока, производящая максимальный депрессорный эффект) в результате получался эффект, почти ничем не отличающийся от эффекта раздражения одного депрессора. Тотчас по прекращении раздражения депрессора и замыкании трахеальной канюли наступало действие асфиксии во всем ея обеме, как будто не было депрессорнаго раздражения. Это, по мнению автора, то самое явление, которое наблюдается при одновременном раздражении n. vagi et n.n. acceler. cordis. Вышеприведенныя явления существовали как при целых nn. vagi, так и после перерезки их. Не безинтересно отметить, указывает автор, что одинаковой силы раздражения депрессора дают в результате один и гот же эффект, будет ли тонус сосудистаго центра нормален или вследствие асфиксии сильно повышен. Как в опытах с vagus’ом и акцеле- раторами сердца преобладает задержка (Hemmung), — так и при депрессорном раздражении во время асфиксии наблюдается аналогичное явление, не смотря на сильное возбуждение центра вазоконстрикторов. Кроме того следует заметить, говорит автор, что более сильное действие депрес- сорнаго раздражения является аргументом в пользу того, что депрессор существенно понижает тонус вазоконстрикторов и не возбуждает сколько нибудь значительно дилятаторы. Против наблюдений Bayliss’a говорят также и опыты Чирвинскаго 18) (1891 г.), в кривых котораго находятся ясныя указания, что, если при асфиксии депрессорное раздражение вызывает меньший эффект, то это уменьшение лишь крайне незначительно (см. таблица IV. фиг. 23, on. XXXII. а наблюд. 163.—До задушения—давление 100 мм. Hg. Во время задушения—116 мм. Hg.—Присоединено раздражение депрессора,—давление пало до 46 мм. Hg.). На стр. 111 Чирвинский указывает, что при задушении депрессор понижал давление приблизительно только на 10% менее нормальнаго, что он ставит в связь с возбуждением вазомоторнаго центра, отчего реакция депрессорнаго нерва слабела, ибо первый мешал ея проявлению.
Из приведенных литературных данных и гл. образом на основании работы Bayliss'а мы можем пока заключить, что при совместном раздражении чувствительнаго нерва и депрессора, повидимому, наблюдается суммация эффектов раздражения нервов на кров, давлении. Несоответствие наблюдений Bayliss’a, относительно отсутствия депрессорнаго эффекта во время асфиксии с наблюдениями Чирвинскаго 18) и Asher’a 55), мне непонятны. Не зависило-ли это от каких нибудь особенных условий опыта? В работе Bayliss’a 46) протоколы опытов не приведены и силы токов, применявшихся для раздражения депрессора, не указаны. Поэтому я анализировать этих наблюдений не буду тем более, что у меня лично опытов с депрессорным раздражением во время асфиксии нет.
Считаю необходимым указать здесь еще на одно весьма важное обстоятельство: Bayliss 46) во второй части своей работы говорит, что депрессор, повидимому, не способен утомляться. Автор раздражал его в течение 17 м., причем кров. давление оставалось на низком уровне все время раздражения и возвращалось к своей первоначальной высоте по прекращении раздражения. Этот факт, по мнению автора, указывает скорее на то, что действие депрессора по своей природе скорее является „тормазом тонических им пульсов констрикторов с центра, чем на раздражение расширительных нервов, которые легко утомляются“. Далее, это мнение Bayliss’а цитируется уже Hirsch’ем и Stad- ler’ом 51), как аргумент в пользу гипотезы об угнетающем действии на центр вазоконстрикторов депрессорнаго раздражения. Но из работы Latscheriberger’а и Deahna 23), работы весьма обстоятельной, следовало бы вывести совершенно иное мнение относительно быстроты утомления того или иного вида нервных волокон. Именно, они прямо указывают, что сосудосуживающия нервныя волокна утомляются и теряют свое действие быстрее, чем сосудорасширители. („Die elevirenden Fasern rascher ermüden, als die deprimirenden“ и „dass die Wirkung der elevirenden Fasern rascher abnimmt, als die der deprimirenden“ Latsch. und Deahn. стр. 188—189). Затем Biedl 53) в своей работе указывает, что по опытам Frey’я 65) сосудорасширяющия нервныя волокна имеют довольно продолжительное последействие „Nachwirkung“ („von den gefässerweiternden Nerven wissen wir aber aus den Untersuchungen von v. F. Frey, dass sie eine ziemlich anhaltende Nachwirkung besitzen“).
Это противоречие во взглядах Bayliss’а и Latscheriberger’а и Dedhna я обяснить не могу, но на основании своих опытов склонен думать, что мнение Latschenberger’a и Deahna справедливо, почему придерживаюсь их взгляда— т. е., что сосудосуживатели утомляются быстрее, чем сосудорасширители, а на основании этого полагаю, что длительное низкое стояние давления при продолжительном раздражении депрессора едва ли можно считать аргументом в пользу гипотезы Hemmung’а как это предполагает Bayliss.
На этом мы закончим литературный обзор трактуемаго вопроса и перейдем теперь к собственным изследованиям.
II.
Собственныя наблюдения.
При постановке опытов этой части работы мы пользовались методом записывания кров. давления на кимографе Balzar’a. Постановка опытов состояла в следующем. Хлороформированное, или иной раз без наркоза привязанное к операционному столу животное трахеотомировалось, трахеальная канюля соединялась длинным каучуком с мехами, приводимыми в движение электромотором. Затем на шее открывались нервные стволы nn. vagi и пн. sympatici, которые у кошки едва соединены рыхлой клетчаткой в общий ствол. Нервы разединялись, vagi перерезывались с обеих сторон и ц. к. леваго vagi брался в петлю шелковой лигатуры. Sympatici почти во всех случаях оставались целы. Далее открывали n. ischiadicus, чаще левой стороны, перерезывали его и ц. к. брали на лигатуру. Ar. carotis правой стороны перевязывалась, в центральный конец ея ввязывалась канюля, соединявшаяся свинцовой трубкой с ртутным манометром, в одном колене котораго находился поплавок, записывавший изменения давления на закопченой ленте кимографа Balzar’a. Канюля, свинцовая трубка и одно колено манометра выполнялись предварительно 25% раствором сернокислой магнезии во избежание свертывания крови. Рана и нервы обычно закрывались ватой, смоченной в Локковском или Рингеровском растворе, чтобы по мере возможности устранить высыхание нерва и вредное влияние на него воздуха. Я забыл указать, что если при препаровке находили изолированный депрессор, то последний всегда перерезывался и ц. к. его брался на лигатуру для раздражения.
Все опыты этой половины работы произведены на кошках. Животныя во время препаровки слегка наркотизировались морфием (1% раств. morph. mur.), вводимым в бедренную вену и иммобилизировались кураре. Кураризация постоянно была самая легкая, необходимая только для устранения произвольных движений животнаго, отражающихся на кров. давлении подемом его.
Всех опытов в этой половине работы произведено более 20-ти, но как и в первой половине работы я не буду приводить, в тексте протоколов всех опытов в хронологическом порядке, а в конце работы помещу протоколы нескольких опытов, из которых кривыя в тексте иллюстрируют то или иное наблюдение.
Переходя теперь к изучению вопроса, как отражается на кров. давлении одновременное раздражение нервов антагонистов—чувствительнаго нерва и н. депрессора, мы старались по возможности перепробовать все комбинации раздражений при различнаго рода соотношении сил раздражающих токов, различной последовательности применяемых раздражений и различной продолжительности их. В начале каждаго опыта мы всегда предварительно подыскивали такую силу тока для раздражения vagodepressor’a, применение которой давало наибольший результат в смысле интензивности и продолжительности падения кров. давления. По нашим наблюдениям самыя выгодныя в этом отношении силы тока обычно колеблются на средних цифрах, но не сильнее 90—80 мм. разстояния катушек, за пределом чего раздражение, но большей части, дает уже прессорный эффект. Точно также и для получения прессорнаго эффекта мы старались подобрать для раздражения ц. к. ischiadici наименьшую силу тока, дающую по возможности наибольший эффект. Эти предварительныя изыскания отнимают сравнительно немного времени, но за то они обезпечивают в последующем течении опыта несомненность полученных результатов; — так например, нельзя уже будет сделать предположения, что прессорный эффект в случае совместнаго раздражения обоих нервов будет зависеть не только от раздражения ischiadici, но и от одновременнаго возбуждения прессорных волокон n-ѵи vagi, или напротив отсутствие этого эффекта при совместном раздражении нервов истолковать т. о., что для раздражения ischiadici могла быть применена весьма слабая, не дающая эффекта, сила тока.
Изучая изменения кров. давления под влиянием совместных раздражений чувствительнаго нерва и n. vagodepressoris, мы прежде всего должны отметить следующее обстоятельство: при высоком кров. давлении, т. е. при весьма значительном возбуждении центра вазоконстрикторов, депрессорный эффект получается значительно труднее. Иной раз необходимо бывает перепробовать целый ряд восходящих по силе токов, чтобы получить желаемый результат. Но при этом мы должны указать, что никогда не встречали такого случая, в котором мы не могли бы получить при высоком кров. давлении понижение его вследствие раздражения vagodepressoris. Эти наши наблюдения идут в разрез с наблюдениями Bayliss'a над действием депрессора во время асфиксии. Правда, мы опытов с асфиксией не ставили, но думаем, что действие ея на сосудосуживающий центр ничем не должно отличаться от электрическаго раздражения чувствительнаго нерва, так как всякая нервная клетка с определенной функцией под влиянием различнаго рода раздражителей функционирует только определенным образом, вызывая только одной ей свойственное явление. В крайнем случае мы допускаем только, что асфиксия и электрическое раздражение могут действовать различно в смысле силы возбуждения, но результат раздражения должен быть один—сосудосужение и вследствие этого повышение давления. Против наблюдений Bayliss'a говорят также уже указанныя выше наблюдения Asher'a, по которым эффект депрессорнаго раздражения во время асфиксии ничем не отличаемая от эффекта раздражения одного депрессора и опыты Чирвинскаго, что депрессорный эффект во время асфиксии если и уменьшается, то крайне незначительно (10%).
Это препятствие для проявления депрессорнаго эффекта, обнаруживающееся во время сильнаго возбуждения центра вазоконстрикторов, сильно подрывает на наш взгляд теорию только Hemmung'а для обяснения депрессорнаго эффекта. Если бы при раздражении депрессора имело место только Hemmung— задержка возбуждения центра вазоконстрикторов, то нам кажется, что степень возбуждения последняго имела бы ничтожное влияние на депрессорный эффект, иначе пришлось бы допустить какия-либо обстоятельства, при которых задерживающее действие депрессора на центр вазоконстрикторов резко ослабляется, т. е. ослабевает характерная функция нерва и т. о. постепенно дойти до принятия рекомендуемых Суon'ом вставочных аппаратов. В дальнейшем изследовании этого вопроса мы постоянно находим массу доказательств, опровергающих теорию только Hemmung' а, и так как этот вопрос вполне достаточно выяснен нами уже в первой половине работы, где мы высказались за возбуждающую центр сосудорасширителей функцию депрессора, то мы к нему возвращаться более не будем.
Далее в высокой степени интересным представляется следующее обстоятельство: если мы будем наблюдать возвращение пониженнаго кров. давления к первоначальному уровню по прекращении депрессорнаго раздражения,—то скорость возвращения в различных случаях будет далеко не одинакова, а именно в тех случаях, где раздражение депрессора производилось при высоком кров. давлении, от чего бы это состояние центра вазоконстрикторов не зависело, мы можем констатировать, что уровень кров. давления быстро начинает повышаться по прекращении раздражения депрессора, и скоро не только достигает первоначальной высоты, но иногда и превосходит ее. В других же случаях, обычно, когда раздражение вагодепрессора производится при нормальном стоянии кров. давления, или колеблющемся около нормальнаго, —раздражение это сопровождается длительным падением давления уже по прекращении раздражения (Nachwirkung). Это последнее явление наблюдается значительно чаще, чем быстрый возврат давления к первоначальному уровню. Оба эти состояния уровня кров. давления в высокой степени интересны и не могут быть явлениями случайными, а должны безусловно зависеть от состояния обоих вазомоторных центров в данное время. Сейчас указанныя отношения хорошо демонстрируются на кр. 13-ой и на кривой 1-ой. (См. кривую 13-ю).
На этой кривой мы видим, что состояние вазомоторнаго центра до депрессорнаго раздражения было сильно возбужденное. Давление в момент начала раздражения депрессора=157 мм. Hg. Раздражение депрессора в течение 23" В момент окончания раздражения давление 95 мм. Hg. На таком уровне давление держится около 5" и затем начинает весьма быстро повышаться и через 16" от окончания раздражения достигает уровня 188 мм. Hg, с котораго также быстро спускается до первоначальнаго уровня. В противоположность этой кривой, на кривой 1-ой мы видим следующее: давление в момент начала раздражения 174 мм. Hg., в момент окончания раздражения (чрез 88") давление=50 мм. Hg. После окончания раздражения давление еще некоторое время понижается (правда крайне мало) и затем весьма медленно начинает повышаться, но к прежнему уровню возвратиться не может в течение довольно продолжительнаго времени.
Кривая 13-ая
Опытъ 3-й. 18 ноября 1906 года, кошка. Вверху кривая кров. давления. затем абсцисса, отметчик времени в секундах и линия отметчика раздражения нервов. Раздражение vagodepressoris sin. обозначено черточками. Разстояние спир. 190 мм. Читать кривую справа на лево.
Из сравнения этих двух кривых ясно видно, что интензивность депрессорнаго эффекта сильно зависит от состояния центра вазоконстрикторов во время раздражения депрессора, и состоянием сильнаго возбуждения этого центра обясняются те случаи депрессорнаго эффекта, в которых не наблюдается продолжительнаго низкаго стояния давления по прекращении раздражения депрессора. Принимая вопреки мнению Bayliss’а 46), что продолжительное низкое стояние давления при раздражении депрессора обусловливается активной деятельностью сосудорасширителей, при чем основываемся на опытах Latschenbergеr'a и Deahna 23), что сосудорасширители утомляются значительно медленнее, чем констрикторы, и на опытах Frey’я, что сосудорасширители обладают длительным последействием, а также и на своих личных впечатлениях, мы считаем возможным дать такое толкование этих кривых: при депрессорном раздражении происходит возбуждение центра сосудорасширителей, активное расширение сосудов и падение кров. давления. Это расширение сосудов и следов. возбуждение соответствующаго центра держится в течение всего времени раздражения. По прекращении раздражения давление не одинаково быстро будет возвращаться к первоначальной высоте, именно, если центр вазоконстрикторов не был сильно возбужден, —центр сосудорасширителей, сохраняя некоторое время полученное возбуждение, будет оказывать соответствующее влияние на сосуды, что скажется существованием Nachwirkung. Наоборот, если центр констрикторов будет сильно возбужден, —тогда давление по прекращении раздражения быстро повысится, т. е. проявится эффект этого центра. Из этого вытекает заключение, что возбуждение в обоих сосудодвигательных центрах может протекать одновременно, и что возбуждение одного центра не уничтожает возбуждение другого, а лишь временно ослабляет, угнетает его, проявляется же на кров. давлении эффект возбуждения того центра, который был более сильно раздражен. Если бы при возбуждении одного центра наблюдалось полное угнетение функции другого до полнаго угасания ея, то по окончании раздражения этого центра эффект возбуждения другого не должен был бы обнаруживаться, тогда как на деле мы видим совершенно противуположное. Эти наблюдения аналогичны опытам Baxt'a 66) над одновременным раздражением периферич. конца vagi. и акцелераторов сердца. В наблюдениях этого автора эффект раздражения периферическаго конца vagi совершенно покрывал эффект раздражения акцелераторов сердца, но, по прекращении раздражения vagi, эффект раздражения акцелераторов сердца обнаруживался с той же ясностью и на том моменте, на каком он был бы, если бы vagus и не раздражался совершенно. В наших опытах мы видим совершенно то же самое явление, правда, оно несколько затемняется тем, что каждому центру, прежде чем обнаружить эффект своего действия, надо выравнять следы возбуждения другого, но по существу—мы здесь имеем одно и то же явление. Эту аналогию отмечает также Asher 55); и из наблюдений Bayliss'a тоже надо вывести заключение, что возбуждение может протекать в обоих центрах одновременно („проявляется эффект нерва раздражаемаго более сильным током, а по прекращении раздражения—эффект раздражения второго нерва нароcтает сам собой“). Этим же одновременным возбуждением обоих центров вполне обясняется то обстоятельство, что депрессорный эффект во время асфиксии, или вообще при высоком кровяном давлении, получается значительно труднее, так как центру сосудорасширителей, прежде чем обнаружить эффект своего возбуждения на сосуды, необходимо уничтожить эффект одновременнаго возбуждения своего антагониста—центра вазоконстрикторов.
Установив т. о., что возбуждение в обоих вазомоторных центрах может протекать одновременно, мы обратимся к изучению явлений, обнаруживающихся на кров. давлении при совместных возбуждениях обоих центров вследствие одновременнаго раздражения центр. концов чувствительнаго нерва (ischiadicus) и н. вагодепрессора.
В случае одновременнаго раздражения центр. концов этих нервов—эффект на кров. давлении будет всегда зависеть от возбуждения обоих вазомоторных центров, будет, так сказать, суммированным. При комбинации подобранных указанным выше образом раздражений, мы всегда будем в состоянии на Кривая кров. давления узнать преобладающий эффект возбуждения того или другого центра, но почти всегда эти эффекты будут изменены, вследствие противоположнаго действия обоих центров на давление. Так при одновременном раздражении обоих нервов—раздражение ц. к. ischiadici не в состоянии будет повысить давление до того уровня, до какого оно повышается при раздражении одного этого нерва, точно так же и раздражение ц. к. vagodepressoris не в состоянии будет понизить давление до minimum’a, достигаемаго уровнем давления при раздражении одного только депрессора. Происходит т. о. суммация противоположных эффектов раздражения и уровень кров. давления вследствие этого будет представлять из себя, так сказать, алгебраическую сумму эффектов обоих раздражений. Все сейчас сказанное хорошо демонстрируется на кривых 14-ой и 15-ой. (См. кривую 14-ю).
Кривая 14-ая.
Опытъ 3-й. 18 ноября 1906 года. Вверху кривая кров давления, затем абсцисса, линия отметчика времени в 1" и линия отметчика раздражения нервов Раздражение ц. к. ischiadici и vagodepressoris р. с. 190 мм. Читать кривую справа на лево.
На этой кривой мы видим следующее. Давление крови до раздражения ischiadici было 76—79 мм. Hg. В момент начала раздражения ischiadici 76 мм. Hg. Начало повышения чрез 4 с лишним секунды (почти 5"), давление повысилось до 160 мм. Hg. В этот момент, т. е. чрез 15" после начала раздражения ischiadici, присоединено раздражение ц. к. vagodepressoris sin. током той же силы—190 мм. разст. спир., в течение 21". Давление стало круто падать и в момент окончания раздражения вагодепрессора было=90 мм. Hg. Раздражение ischiadici все время продолжается. Продержавшись на уровне 90 мм. в течение 5", давление стало весьма медленно повышаться и к концу раздражения ischiadici достигло уровня 100 мм. Hg. Чрез 2" давление повыси- лось еще на 4 мм. Hg. В это время начато снова раздражение ischiadici той же силы током, продолжавшееся 11", но дальнейшаго повышения не наблюдалось, —давление, продержавшись несколько секунд на высоте 104—100 мм. Hg., понизилось до уровня 80 мм. Hg., на котором оставалось довольно продолжительное время. Следующее раздражение ischiadici. произведенное по окончании возбуждения центра сосудорасширителей, дало вполне нормальный подем давления при раздражении током той же силы. На дальнейшей части кривой видно появление волн характера Hering-Traube. (См. кривую 15-ю).
Кривая 15-ая.
Опытъ 18 ноября 1906 г. (3-й). Обозначения те же. Раздражение ц. к. ischiadici и vagodepross. sin. р. с. 190. Читать кривую справа на лево.
Кровяное давление до раздражения колеблется между 124 мм. Hg. — 108 мм. Hg. В момент начала раздражения ischiadici давление=112 мм. Hg. Начало повышения приблизительно чрез 3". Maximum повышения 159—160 мм. Hg. Чрез 5" после начала раздражения ischiadici начато раздражение ц. к. vagodepressoris sin. током при р. с. 190 мм. В момент начала раздражения депрессора давление=130 мм. Hg., но давление продолжает еще повышаться, пока не достигает указаннаго уровня 159—160 мм. Hg. Продержавшись несколько секунд на этом уровне, давление весьма отлого начинает понижаться: 158 мм.—154—149—146 — 144—143 мм. Hg. В этот момент раздражение ischiadici окончено. (Продолжительность всего раздражения ischiadici— 22"). Раздражение vagodepressoris sin. продолжается. Давление начинает падать сначала довольно круто: — 126 мм.—111— 110—108. Затем следует небольшое повышение, maximum котораго соответствует 114 мм. Hg. и затем опять понижение до 108 и даже до 104 мм. Hg. В момент окончания раздражения vagodepressoris sin. давление=110 мм. Hg. (продолжительность всего раздражения вагодепрессора 47''). Спустя приблизительно секунды 4 по прекращении раздражения вагодепрессора давление начинает быстро повышаться и скоро достигает уровня 173—174 мм. Hg., на котором и продолжает оставаться. На кривой далее следует ряд волн типа Hering-Traube.
Анализируя эти две кривыя, мы видим, что как в одном так и в другом случае наблюдается ясная суммация эффектов раздражения обоих нервов. Представляя таким образом один и тот же процесс, —кривыя эти резко рознятся по своему характеру: — на кривой 14-ой мы можем отметить, что раздражение депрессора производилось при некотором, повидимому, утомлении центра вазоконстрикторов, так как давление было низкое и латентный период для эффекта ischiadici был значительно длиннее обычнаго; однако какого-либо угнетения центра не было, почему раздражение ischiadici дало значительное повышение давления. Присоединение раздражения депрессора резко понизило давление, несмотря на продолжающееся раздражение ц. к. ischiadici. Но раздражение vagodepressoris sin. не уничтожило возбуждения в центре сосудосуживателей, а только настолько резко ослабило его, что давление повысилось только на несколько миллиметров. На кривой кров. давления мы видим суммированный эффект возбуждения обоих центров с характером преобладания сосудорасширяющаго центра сообразно с чем наблюдается и длительное Nachwirkung.
Совершенно иной характер имеет кривая 15-ая. Здесь раздражение обоих нервов производилось при сравнительно высоком кров. давлении, почему латентный период для эффекта ischiadici имеет обычно наблюдавшуюся в наших опытах продолжительность, около 3". Присоединение раздражения вагодепрессора сказывается весьма медленным и незначительным падением давления, —так как возбуждение центра вазоконстрикторов препятствует развитию и проявлению депрессорнаго эффекта. С окончанием раздражения ischiadici, эффект депрессорнаго раздражения обнаруживается крутым падением кривой кр. давления, вследствие устранения возбуждающаго центр вазоконстрикторов агента. Но и после того как раздражение ischiadici прекращено и действует один только депрессор, мы видим, что давление не падает так низко, как обычно наблюдается при раздражении одного вагодепрессора, во-вторых на пониженной кривой видим небольшую волну типа Hering-Traube, что указывает на возбужденное состояние центра вазоконстрикторов и, наконец, как только прекращается раздражение vagodepressoris,—давление быстро повышается не только до первоначальнаго уровня, но даже значительно превосходит его. Nachwirkung т. о. отсутствует. Все это вместе взятое указывает нам на суммацию эффектов возбуждения обоих центров на кровяном давлении, причем ясно все время обрисовывается возбужденное состояние центра вазоконстрикторов. Анализ этих взаимно дополняющих друг друга кривых приводит нас к заключению во-первых о совместном протекании возбуждения в обоих центрах при одновременном раздражении приводящих нервов и во-вторых, — что эффект такого раздражения на кров. давлении—будет эффектом суммированным.
Если мы будем придерживаться сейчас высказаннаго взгляда, что возбуждение протекает в обоих вазомоторных центрах одновременно, то нам станут ясными все явления в изменении кров. давления во время совместных раздражений антагонистов—ischiadici и vagodepressoris. С этой точки зрения при совместном раздражении обоих нервов токами такой силы, что каждый из раздражаемых нервов дает в отдельности максимальный свой эффект, резкое преобладание эффекта раздражения того или другого нерва будет зависеть от целаго ряда причин, как то: от силы примененных раздражений, от продолжительности их, главным образом от индивидуальной возбудимости центров у животнаго даннаго опыта и от степени истощения центров. Каждый из этих моментов играет видную роль в эффекте раздражений на кровяном давлении, причем индивидуальная возбудимость вазомоторных центров особенно важна в этом отношении. Как известно центр вазоконстрикторов приходит в состояние возбуждения крайне легко, наоборот центр сосудорасширителей, как мы могли заключить из наших опытов, возбуждается значительно труднее, сообразно с чем и получение сосудорасширяющаго эффекта всегда более затруднительно, чем сосудосуживающаго. Но попадаются иногда (правда, крайне редко) такия животныя, сосудорасширяющий центр которых реагирует крайне быстро и интензивно на самыя краткия раздражения. Один из таких опытов указан в 1-ой половине работы (оп. 3/хп 1907 г.) и как на другой такой опыт можно указать на 7-ой, в котором краткия раздражения vagodepressoris даже при весьма значительной высоте кров, давления, т. е. при значительном возбуждении центра вазоконстрикторов, вызывали постоянно интензивное и быстрое падение давления, что надо обяснить только высокой индивидуальной возбудимостью сосудорасширяющаго центра у даннаго животнаго. Как доказательство сказаннаго я приведу кривую 16-ю из этого опыта (№ 7).
Кривая 16-ая.
Опытъ 9 янв. 1907 г. (№ 7) кошка. Вверху—Кривая кров. давления, затем абсцисса, отметчик времени, отметчик раздражения n. ischiadici, отметчик раздражения n. vagodepressoris sin. Читать кривую справа на лево. Раздражение ц. к. vagodepress. sin. р. с. 90 мм. и затем совместное раздражение ц. к. ischiadici р. с. 200 и ц. к. vagodepressoris sin. p. c. 90 мм.
На этой кривой мы видим следующее: кров. давление до раздражения высокое=173 мм. Hg. В момент начала раздражения vagodepr. sin. 168 мм. Hg. Раздражение vagod. sin. током при р. с. 90 мм. в теч. 1 сек.—Давление 160— 150—145—144—142 мм. Hg. Весь период падения давления около 16''. Падение давления на 26 мм. при раздражении в течение 1"—указывает на весьма высокую возбудимость сосудорасширяющаго центра. Не менее если не еще более убедительно 2-ое раздражение на этой же кривой: давление в момент начала раздражения высокое=150 мм. Hg. Раздражение ц. к. vagodepr. sin. током при р. с. 90 мм. и чрез 1" после начала раздражения депрессора начало раздражения ц. к. ischiad.—током при р. с. 200 мм. в течение 3-х с небольшим секунд. Раздражения обоих нервов окончены одновременно. Падение давления=148—137—125— 124 мм. Hg. в течение 9", после чего начинается повышение давления сначала легкое, а затем крутое:—127—130—142— 167—170 мм. Hg. Затем давление несколько понижается и держится ровно около 150 мм. Hg.
Это второе раздражение еще более убеждает в особенной индивидуальной мощности сосудорасширяющаго центра у даннаго животнаго.
Что касается влияния сил тока, применяемых при совместных раздражениях ц. к. нервов ischiadici и вагодепрессора, то установить точныя соотношения их с эффектом раздражения невозможно. Опять таки здесь выступает на первый план индивидуальная возбудимость вазомоторных центров, но в общем всетаки можно сделать приблизительное заключение, что чем сильнее сила тока, раздражающая тот или иной нерв, тем отчетливее будет выступать на кровяном давлении преобладающее влияние его. Но это наблюдается далеко не всегда, например: кривая 17 дает совершенно иную картину отношения между применяемыми для раздражения силами тока и эффектом на кровяном давлении. (См. кривую 17-ую на стр. 116).
Кривая 17-ая.
Опытъ 8-ой (7 февр.). Вверху кривая кровяного давления, затем следуют абсцисса, отметчик времени, отметчик раздражения n-vi ischiadici и отметчик раздр. ц. к. vagodepr. sin. Силы токов—для ischiadici 190 мм. р. с., для депрессора 80 мм. р. с. Читать кривую справа на лево.
На этой кривой высота кров. давления до раздражения колеблется между 140—144 мм. Hg. В момент начала раздражения ischiadici давление=140 мм. Hg. Раздражение ц. к. ischiadici током при р. с. 190 мм. в течение 40". Начало повышения приблизительно через 3". Через 3—4" после начала раздражения ischiadici начато раздражение ц. к. vagodepr. sin. током при р. с. 80 мм. (окончены раздражения одновременно). Давление с 140 мм. Hg. повысилось до 196 мм. Hg. В момент окончания раздражения давл.=184 мм. Hg. После небольшого затем понижения давление доходит до уровня— 200 мм. Hg. и на этом уровне держится долгое время. На приводимой кривой мы видим таким образом, что, несмотря на более сильное раздражение vagodepressoris, отчет-либо выступает эффект раздражения ц. к. ischiadici, след. большая индивидуальная возбудимость и энергия центра сосудосуживателей, совершенно, повидимому, скрадывающая эффект возбуждения сосудорасширяющаго центра. Весьма возможно, что одно раздражение ischiadici в этом случае дало бы еще более высокое повышение давления, и если мы имеем в эффекте повышение давления maximum—196 мм., то при раздражении одного ischiadici—давление м. б. повысилось бы значительно выше 200 мм. Hg., как это мы наблюдали в одном опыте (он. 12-й), в котором кратковременное раздражение ischiadici повысило давление почти до 260 мм. Hg. Отрицать т. о. суммацию эффектов в данном случае мы ни коим образом не можем, а видимое отсутствие ея на первый взгляд должны отнести на счет особенно сильнаго возбуждения центра вазоконстрикторов и на счет особенной его возбудимости, вследствие чего он даже при сравнительно слабых раздражениях реагирует так сильно и так продолжительно. Весьма вероятно, что Bayliss, получая такия кривыя, как сейчас приведенная 17-ая, и вывел заключение об отсутствии депрессорнаго эффекта во время сильнаго возбуждения центра вазоконстрикторов, что на первый взгляд кажется вполне правильным, но в ошибочности чего убеждают, однако, последующия многочисленныя наблюдения.
Если с одной стороны наблюдаются такия комбинации совместных раздражений, что преобладает прессорный эффект, при полном как будто отсутствии эффекта депрессорнаго раздражения, то наоборот весьма часто наблюдаются и такие случаи, где депрессорный эффект вполне покрывает прессорный, так что кривая кров. давления дает впечатление кривой раздражения одного только депрессора. Силы токов, применяемых для раздражения и продолжительность последних должны, разумеется, быть подобраны соответствующим образом. Как образчик подобнаго наблюдения я приведу кривую 18-ю. (См. кривую 18-ю).
На этой кривой мы видим следующее: давление до раздражения 160 мм. Hg. Раздражение ц. к. vagodepress. sin. током при р. с. 90 мм. в течение 22". Давление в момент начала раздражения=165 мм. Hg. Затем давление падает:—158—142—130—117—110 мм. Hg. В этот момент вставлено раздражение ц. к. ischiadici током при р. с. 200, который без депрессора дает весьма сильное повышение давления.
Кривая 18-ая.
Опытъ 7-й (9 янв. 1907 г). Обозначения те же. Раздражения ц. к. vagodepr. sin. током при р. с. 90 мм. и ц к. ischiadici, током при р. с. 200 мм. Читать кривую справа на лево.
Продолжительность раздражения ischiadici—три с небольшим секунды. Кров. давление реагирует на это таким образом:—110 мм. Hg. 105 мм—102—100—96 мм. Hg. Раздражение депрессора окончено. Давление затем—94 мм. Hg.—90—95—98—98 мм. Hg. Как видно из анализа этой кривой—центр сосудорасширителей действует при своем возбуждении в данном случае настолько энергично, что присоединяемое возбуждение центра вазоконстрикторов подавляется совершенно. Кривая кров. давления не останавливается в своем падении, а продолжает опускаться, хотя и умеренно. Далее, несмотря на одновременное возбуждение центра вазоконстрикторов, мы видим, что по прекращении раздражения депрессора кривая еще некоторое время продолжает понижаться, а затем, повысившись на весьма скромную цифру—4 мм., продолжает оставаться на этом уровне довольно продолжительное время. Следовательно в данном случае имеется Nachwirkung, последействие, несмотря на одновременное возбуждение центра вазоконстрикторов. Отсюда мы считаем себя вправе заключить, что оба вазомоторные центры являются по отношению друг к другу антагонистами: при возбуждении одного угнетается до известной степени функция другого, сохранение же возбуждения в обоих центрах имеется только в случае сильнаго их раздражения. Но к антагонизму центров мы вернемся еще несколько ниже, а пока укажем только, что приведенная выше кривая демонстрирует полное преобладание в данном случае депрессорнаго эффекта над прессорным. Если бы нам сделали возражение, что в данном случае преобладание депрессорнаго эффекта вполне понятно в виду краткости раздражения ц. к ischiadici и слабой силы тока, примененной для его раздражения, то мы должны указать, что ток при р. с. 200 мм. в данном опыте всегда вызывал резкое повышение давления, что хорошо видно на приводимой здесь кривой 19-ой.
Кривая 19-ая.
Обозначения те же, что и на кривой 18-ой. Раздр. ц. к. ischiadici р. с. 200 мм. в течение 3".
Эта кривая получена из того же самаго опыта № 7-ой. Кратковременное раздражение ц. к. ischiadici током при р. с.200 мм. вызвало настолько сильное повышение давления, что поплавок перекинуло за край барабана и последний пришлось остановить и выждать, когда давление вернется к более низкому уровню. Мы по возможности старались подыскивать самые слабые токи, дающие максимальный эффект (на что мы уже указали выше). Краткая продолжительность раздражения в данном случае только и возможна, так как если бы мы продолжили раздражение ischiadici до получения прессорнаго эффекта, что непременно бы и наступило, то мы не могли бы сделать никакого вывода из такого наблюдения. Относительно продолжительности раздражения, мы имели возможность многократно убедиться, что она играет весьма значительную роль в величине повышения кров. давления. Уже из наблюдений проф. Kronecker’а и Nikolaides’a 67), известно, что сосудодвигательный центр обладает способностью суммировать одиночныя электрическия раздражения, —сообразно с чем он влияет на степень сужения сосудов—и на высоту кров. давления. Мы должны указать, что Кrопескеr и Nïkolaides занимались изучением влияния различной частоты раздражений и условий при которых центр может эти раздражения суммировать, не затрогивая вопроса о влиянии продолжительности раздражения.
Kronecker и Nikolaides относительно этого вопроса говорят следующее: „редкия раздражения вызывают более сильный эффект, если интензивность их повышается, но усилением тока нельзя довести сосудосуживающее действие до такой высоты, которая получится при раздражении умеренной силы током, но большей частоты“. Мы могли при наших опытах убедиться, что на степень возбуждения центра имеет рачительное влияние не только та или иная частота электрических ударов, но и степень продолжительности раздражения. В нашем случае частота электрическаго раздражения все время оставалась одна и та же, менялась же продолжительность раздражения и мы пришли к выводу, что последняя имеет такое же значительное влияние на степень возбуждения вазомоторнаго центра, как и частота раздражающих электрических ударов, играющая по Kronecker’у и Nikolaides’у самую главную роль в произведении эффекта.
Доказательством этого служит наблюдение из оп. 13-го (3 апр. 1907 г.). См. раздр. 33-е (4 ч. 14' 37"). — Длительное раздражение депрессора, в течение котораго произведены 3 кратких раздражения ц. к. ischiadici. Возбудимость центра вазоконстрикторов резко понижена. Давление низкое и для получения прессорнаго эффекта необходимы очень сильные токи (58 мм. р. с.). Давление в момент начала раздражения vagod. síii. =78mm. Hg. Чрез 12"—давление=68—69 мм. Hg. Раздражение ц. к. ischiadici током при р. с. 58 мм. в течение приблизительно 1", или несколько меньше этого; — чрез 4"—давл. = 69 мм. Hg. —70 мм. Hg., т. е. повышения нет. Чрез 11" после перваго раздражения—2-ое раздражение ц. к. ischiadici той же силы током в течение 1—11/2", или немного больше. Давление повысилось после длиннаго скрытаго периода до 77 мм. Hg. Наконец еще чрез 13"— третье раздраж. ischiadici в течение 5". Давление повысилось до 108 мм. Hg., но затем, понизившись под влиянием раздражения депрессора до уровня 94 мм. Hg., по прекращении раздражения последняго, продолжает долго оставаться на этом уровне.
Т. о. мы выяснили, что суммация эффектов раздражений чувствительнаго нерва и его антагониста депрессора будет зависеть от примененных сил раздражения, от продолжительности последних и главным образом от индивидуальной возбудимости обоих вазомоторных центров. Мы указали, что на кривой кров. давления при таком суммированном эффекте всегда отчетливо выступает преобладающее влияние центра, возбуждаемаго более сильным током, или по тем или иным причинам более легко реагирующаго на раздражение, и что при крайней степени возбуждения одного центра, при совместных раздражениях, может получиться впечатление, что раздражается только один центр, так как эффект возбуждения другого совершенно скрадывается. Далее мы хотим указать на одно наблюдение, в котором, при совместном раздражении обоих нервов, противоположные эффекты как бы настолько уравновешивали друг друга, что кровяное давление осталось in statu quo. Подобное наблюдение раньше уже сделано Bayliss’ом 46), по опытам котораго в одной кривой противоположные эффекты сбалапсировались настолько, что кровяное давление сделалось снова нормальным. Arendt 35) в своей работе тоже указывает факт, который, повидимому, следует истолковать таким же соотношением раздражающих сил для прессорных и депрессорных волокон раздражаемых нервов, что давление крови осталось без перемены. Эти факты обясняются весьма просто и легко при4принятии взгляда, что при известных условиях вазомоторные центры оба сохраняют получаемое раздражение и что они по отношению друг к другу являются антагонистами. В нашем наблюдении мы имели следующее: (оп. 24 февр. 1907 г.) кровяное давление высокое. Волны—Hering-Traube. Давление в момент начала совместнаго раздражения центр. концов ischiadici и vagodepressor. sin. = приблизительно 190 мм. Hg. Раздражение ц. к. обоих нервов в течение 14". Давление 184—188—189—193—195—188 мм. Hg., т. е. колеблется все время около того уровня, при котором начато раздражение. Лишь только раздражение прекращается, уровень давления проделывает большой подем—приблизительно до 218 мм. Hg., а затем быстро возвращается к уровню 188—190 мм. Hg., т. е. к тому, при котором начато раздражение, и на этом уровне остается очень долгое время, прерываясь только высокими подемами волн типа Hering-Traube. Все сейчас сказанное хорошо демонстрируется на кривой 20-й (стр. 124).
На этой кривой хорошо видно, что уровень давления не изменяется при совместном раздражении чувствительных нервов. Но мы должны сказать, что это относится только к самому моменту раздражения, когда же раздражение оканчивается, наступает быстрое повышение до весьма солидной цифры 218 мм. Hg., хотя и кратковременное, —следовательно выступает на первый план эффект возбуждения центра вазоконстрикторов, скрадывавшийся во время совместнаго раздражения возбуждением своего антагониста— центра сосудорасширителей.
Отметив наиболее важные моменты, наблюдающиеся при совместном раздражении обоих нервов, мы должны сказать несколько слов еще об изменении латентнаго периода для повышения кров. давления под влиянием совместных раздражений. Надо сказать, что специально этим вопросом мы не занимались и изменение латентнаго периода нами определялось только в сравнительно грубой степени. Определять удлиннение или укорочение латентнаго периода с помощью аппарата, скорость вращения котораго равна 1 мм. в 1" довольно трудно, так как при этом пропадают более быстрыя явления и теряется разница в 1/2" и даже больше, что весьма важно. Однако не смотря на это мы пришли к убеждению, что во всех почти случаях, когда ischiadicus раздражался одновременно с vagodepressor’oм, а в случаях, когда ischiadicus раздражался после депрессора, — без исключения, латентный период для обнаружения эффекта ischiadici на кровяном давлении настолько резко удлинняется, что его легко можно определить даже на нашей кривой.
Кривая 20-ая.
Опытъ 24 февр 1907 г. кошка (№ 10-й). Обозначения те же. Читать кривую справа на лево. Раздр ц. конц. ischiadici и vagodepr. sin. р с для обоих нервов 100 мм.
Обычный латентный период для обнаружения эффекта ischiadici в наших наблюдениях колебался от двух с небольшим, до 3 секунд; в случаях же совместнаго раздражения ischiadici и депрессора латентный период меньше 4" почти никогда не был. Особенно интересна в этом отношении кривая 16-ая из опыта 7-го. На этой кривой, при совместном раздражении обоих нервов, мы видим не только простое удлиннение латентнаго периода, но предварительное падение давления, а затем высокий подем его. Если считать это предварительное падение тоже за латентный период эффекта ischiadici, — так тогда надо сказать, что удлиннение его в данном случае весьма большое и равняется приблизительно 18—19". В виду того, что подобное явление в этом опыте наблюдалось постоянно, и что центр сосудорасширителей в данном опыте был особенно возбудим, мы склонны думать, что степень удлиннения латентнаго периода для обнаружения на кровяном давлении эффекта ischiadici при совместных раздражениях обоих нервов стоит в прямой связи с индивидуальной возбудимостью сосудорасширяющаго центра. Чем более возбудим этот центр и чем энергичнее проявляется его действие, тем большее удлиннение латентнаго периода для эффекта ischiadici будет наблюдаться при совместных раздражениях обоих нервов. Сообразно с этим и более слабое и краткое раздражение центра сосудорасширителей будет давать длинный латентный период, сравнительно с теми случаями, когда центр сосудорасширителей возбуждается менее энергично и менее энергично проявляется.
(Окончание следует).
1 Приведено по Остроумову
2 Всѣ указанные авторы приведены по работѣ Изергина, въ которой литература вопроса изложена весьма обстоятельно.
3 Приведено по Изергину.
[4] Въ частномъ письмѣ своемъ къ проф. Н. А. Миславскому весной нынѣшняго года Bayliss пишетъ, что его кривыя сравнительно съ нашими являются крайне бѣдными. (Фотографіи нашихъ кривыхъ были посланы Bayliss’у вскорѣ по ихъ полученіи).
Об авторах
Левъ Львовичъ Фофановъ
Императорскiй Казанскiй Университет
Автор, ответственный за переписку.
Email: info@eco-vector.com
доктор, физиологическая лаборатория проф. Н. А. Миславскаго
Россия, КазаньСписок литературы
Дополнительные файлы






















