The concept of reconstructing the spatial-planning structure of historical quarters using small-sized block sections
- Authors: Pastushenko V.1, Lazarenko E.1
-
Affiliations:
- Samara State Technical University
- Issue: Vol 8, No 14 (2023)
- Pages: 54-61
- Section: THE CITY & PEOPLE
- URL: https://journals.eco-vector.com/2500-3437/article/view/627232
- DOI: https://doi.org/10.17673/IP.2023.8.14.6
- ID: 627232
Cite item
Full Text
Abstract
The method of reconstruction of historical quarters of the city of Samara is considered. The proposed approach is based on the method of permanent reconstruction of block buildings using small-sized block sections. To substantiate the proposed approach, a number of objects from world practice are analyzed. The features of the architectural and planning structure of Samara's historical quarters and the sociocultural conditions for the formation of the modern architectural appearance of the Samara courtyard are revealed. An experimental model for the reconstruction of the Samara quarter is proposed.
Full Text
Сложившаяся архитектурно-планировочная структура исторических кварталов Самары представляет собой один из наиболее интересных и аутентичных градостроительных феноменов города. Основу застройки квартала образуют бывшие домовладения, границы которых сформировались до революции 1917 г. Структурной единицей квартала стало владельческое место [3] на территории которого владелец мог возводить необходимые объекты: дом, сад и хозяйственные постройки. Таким образом, планировочная структура исторического квартала (с размерами сторон 240 х 120 м) сформирована домовладениями количество которых варьировалось от 12 до 30 участков. Масштаб застройки улицы и внутриквартальных пространств (дворов) задан ритмом и метром этой модульной сетки.
Конец ХХ – начало ХХI веков связаны с процессом активного строительства в границах исторических кварталов Самары. Характер нового строительства вряд ли можно назвать «реконструкцией», так как за основу планировочных решений берутся проекты секционных многоквартирных зданий, разработанных для застройки микрорайонов на свободных площадках. Размеры типовой секции в плане определяются конструктивными шагами для типового домостроения и сопоставимы с габаритами дворов в целом. Несколько сблокированных в ряд секций могут занять площадь равную 1/3 - 1/2 площади всего квартала, что кардинально укрупняет существующий масштаб исторической среды. Следующим фактором, который способствует разрушению структуры и масштаба исторической застройки, являются современные нормы проектирования, которые также, в своей основе, были разработаны для проектирования и строительства на свободных территориях (противопожарные нормы, нормы инсоляции и т.п.) и не учитывают специфики условий реконструкции исторической среды. Поэтому, в настоящее время, стала актуальной тема поиска как новых методик для реконструкции самарских кварталов, так и разработки специальных норм для условий реконструкции.
Одним из возможных подходов к решению обозначенной проблемы может быть проектирование и строительство малогабаритных точечных зданий (блок-секций), соответствующих сложившемуся архитектурному контексту по высотным параметрам и размерам в плане. Рассмотрим опыт реализации подобных решений в мировой практике.
Концепция встраивания блок-секции в существующую квартальную застройку прослеживается в проекте жилого дома в деревне Шанвэй (Китай) архитектурного бюро «People’s Architecture Office» (рис. 1).
Рис. 1. Shangwei Village Plugin House
Дома в деревне Шанвэй — это отремонтированные дома, которым сотни лет. До последнего времени эти дома десятилетиями оставались пустыми и лежали в руинах, поскольку деревня Шанвэй опустела. Половина зданий в Шанвэе была заброшена, поскольку жители переехали в поисках более высокого уровня жизни в соседние районы [8]. Стремительная городская экспансия близлежащего Шэньчжэня поглотила деревню Шанвэй, превратив ее застройку в «острова», окруженные морем новостроек. При реконструкции и восстановлении структуры одного из зданий деревни важно было сохранить контекст и масштаб окружения, так чтобы новострой не нарушил исторически сложившуюся целостность.
Местная администрация была заинтересована в творческом подходе к реконструкции и реновации, и инициировала строительство пилотного проекта в партнерстве с архитектурным бюро «People’s Architecture Office» [8]. Администрация деревни должна была отремонтировать в первую очередь объекты, где обрушились крыши. В виду сложности таких работ, так как они могли повлиять на соседние строения, в качестве реализуемой концепции, было решено оставить первоначальную структуру реконструируемого здания нетронутой и внутри существующих стен строить новый объект. Таким образом, в данном проекте архитекторы предложили восстановление внутриквартальной структуры, встроив в стены ветхого объекта новую конструкцию жилого дома.
Актуальным приемом тактичной реконструкции внутриквартальной среды может быть замена в существующих границах ветхих строений и хозяйственных построек на новые объекты. Такой подход реализован в проекте отеля «The Slender Hotel» в Салатиге (Индонезия) архитектурного бюро «Sahabat Selojene» (рис. 2).
Рис. 2. The Slender Hotel
Ключевой момент проекта неудобная для застройки площадка, которая представляла собой узкий участок земли, используемый как свалка мусора. Эта площадка долгое время находилась на рынке без покупателя, поскольку ее ширина слишком мала для парковки автомобилей и другой деятельности, необходимой для жилых или коммерческих целей. Инновация проекта заключалась в архитектурном решении объекта на стесненном участке земли необычной конфигурации, который образовался в результате стихийной застройки. Такие «неудобные» площадки являются обычной проблемой в небольших городах Индонезии и создают неприглядный фон в городском пейзаже.
Рис. 3. Генплан «The Slender Hotel»
Архитекторам, на этом узком участке размером 2,8 на 12 метров, удалось запроектировать отель. Объект был размещен между аллеей шириной 3 метра, садом соседей и окружающими домами. В структуру здания включен участок старой стены по периметру площадки как аутентичный исторический артефакт, построенный в начале XX в. (рис. 3, 4). Этот проект стал примером того, как проблемную территорию превратить в потенциал городского развития [9].
Рис. 4. Планы и разрез «The Slender Hotel»
Одним из интересных приемов при реконструкции высокоплотной исторической застройки является прием использования «гибкой» или мобильной границы. «Гибкость» границы означает способность границы изменяться в зависимости от различных ситуаций и функциональной необходимости. «Гибкая» граница позволяет объединять или разделять фрагменты пространства городской среды, создавая разнообразие всевозможных сочетаний элементов среды: фрагментов улицы и интерьеров зданий, фрагментов дворов и улиц, фрагментов дворов. Этот подход прослеживается в проекте жилого дома в районе Сонсан-дон (Южная Корея) архитектурного бюро «a round architects» (рис.5).
Рис. 5. Seongsan-dong Mix-use
Дом запроектирован в старом районе Сеула. Несмотря на расположение участка в зоне жилой застройки 1960 гг., контекст окружения был сформирован зданиями разной этажности и масштаба. Гибкие границы, встречающиеся на узких улочках, иллюстрируют взаимосвязь между домами. Архитекторы запроектировали объект с «гибкой» границей в виде раздвижных дверей, обращенной в сторону узкого переулка. Таким образом, обеспечивается связь пространства улицы и первого этажа здания и при необходимости граница может стать непроницаемой (рис.6) [10].
Рис. 6. Генплан «Seongsan-dong Mix-use»
Рис. 7. Планы и разрез «Seongsan-dong Mix-use»
Примером размещения объекта в условиях высокоплотной квартальной застройки может служить проект жилого дома в деревне Trau Quy, Вьетнам, спроектированном архитектурной студией «TOOB STUDIO». Деревня Trau Quy — это одна из старейших деревень во Вьетнаме, которая имеет богатую историю и культуру, связанную с ремеслом изготовления керамики. Деревня расположена в провинции Ханой, недалеко от столицы. Деревня сохранила свой традиционный образ жизни, а также свою уникальную архитектуру, которая отражает влияние различных династий и культур, которые правили во Вьетнаме в течение веков. Однако жители деревни сталкиваются с различными проблемами, такими как перенаселение, загрязнение, отсутствие социальной инфраструктуры. Поэтому возникает вопрос, как реконструировать деревню, сохраняя особенности среды и адаптируя ее к новым современным условиям и потребностям.
Возможный ответ на эту проблему проиллюстрирован проектом жилого дома, выполненного архитектурной студией «TOOB STUDIO» (рис. 8). Дом вписан в плотную застройку квартала, которая состоит из различных типов зданий.
Рис. 8. Trau Quy House
Архитекторы решили создать дом, который бы не разрушал сложившуюся в квартале среду, но также был бы комфортным и отвечал бы всем потребностям современного потребителя. Были использованы принципы модульности, мобильности и многофункциональности, чтобы создать гибкий дом, который может меняться в зависимости от функции или сезона (рис. 9) [11].
Рис. 9. Планы этажей «Trau Quy House»
Как видно из приведенных выше примеров, главным условием сохранения архитектурно-планировочной структуры сложившейся исторической застройки является со-масштабность новых объектов контексту и точечное размещение новых объектов на свободных площадках с максимальным сохранением пространственных параметров среды. Таким образом, для реконструкции сложившейся исторической застройки наиболее подходящим может быть метод точечной перманентной реконструкции с постепенной заменой ветхих строений на новые, с реновацией ценных в архитектурном отношении зданий, с максимальным сохранением аутентичных элементов среды.
«Самарский двор»
«Самарский двор», который является структурной единицей исторического квартала, как социокультурный феномен окончательно сформировался за годы советского периода в ХХ-м веке. После революции 1917 г. все капитальные здания были национализированы и переведены в статус социального, коммунального жилья. Таким образом сформировался определенный характер и архитектурного оформления пространства дворов, и социальный состав жителей, и отношения общежития внутри коллектива людей, объединенных границами двора. Поэтому, при реконструкции «самарского двора» необходимо сохранить не только архитектурный масштаб среды, но и структуру социального состава жильцов: сохранить двор как многоквартирное образование с большим количеством собственников, которые будут совместно использовать общее дворовое пространство [4], что послужит и гарантией сохранения архитектурного разнообразия пространства.
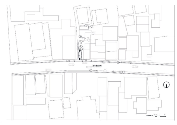
Рис. 10. Эскизное предложение реконструкции квартала 64
Для реализации такой задачи предлагается концепция реконструкции со строительством на свободных площадках, на месте ветхой застройки, заброшенных сараев и гаражей, точечных объектов, малогабаритных блок-секций, соразмерных существующим зданиям (рис. 10, 11). Такие объекты могут быть жилыми домами на одну, две или три семьи, многоквартирными домами галерейного типа, небольшими частными городскими особняками и т.п. При этом определяющим условием должно быть сохранение пространства двора как общественного пространства. Реализация концепции реконструкции с использованием малогабаритных блок-секций возможна при создании условий экономической целесообразности: небольшой стоимости строительства и технологичности возведения.
Рис. 11. Эскизное предложение реконструкции квартала 105
Настоящая проектная концепция реконструкции самарского квартала основана на принципе эволюционного развития среды. Эволюционный подход предполагает бережное отношения с существующей застройке с максимальным сохранением архитектурной подосновы, поэтапную точечную замену ветхого фонда, сохранение социального характера проживания. Сохранение социального характера проживания будет необходимым условием сохранения особенностей архитектурного контекста дворов [4], так как именно социальный характер проживания и способствовал появлению этого уникального архитектурного явления.
About the authors
Valentin Pastushenko
Samara State Technical University
Author for correspondence.
Email: filippov.vd@samgtu.ru
Russian Federation
Elizaveta Lazarenko
Samara State Technical University
Email: filippov.vd@samgtu.ru
Russian Federation
References
- Vavilonskaya, T.V. Strategy for updating the architectural and historical environment: monograph. ISBN 978-5-585-0290-5 Russia, Publisher: Samara State University of Architecture and Civil Engineering, 2008
- Samogorov, V.A. Wooden and stone-wooden architecture of Samara of the late XIX - early XX centuries. ISBN 978-5-91899-053-7 Russia, Samara. Publisher: Samara State architectural-builds. university, 2011
- Samogorov V.A., Pastushenko V.L., Rybacheva O.S. Concept of architectural and planning reconstruction of the historical settlement of Samara. Architecture and construction of Russia. Architectural and urban environment. 2023. No. 3 (247)
- Pastushenko V.L., Rybacheva O.S., Slastenin P.V., Method of reconstruction yard in educational designing; В сборнике: IOP Conference series: materials science and Engineering. International Conference on Civil, Architectural and Environmental sciences and technologies. CAEST 2019. C/012030.
- Samogorov V. A., Rybacheva O. S. New construction in the conditions of historical development, taking into account the boundaries of courtyards. Bulletin of SGASU. Urban planning and architecture. – 2011. – No. 3. – P. 70–72.
- Samogorov V. A., Rybacheva O. S. Methodology for identifying the features of the architectural appearance of the “Samara courtyards”. Bulletin of the Volzhsky regional branch of the Russian Academy of Architecture and Construction Sciences. – 2013. – No. 16. – P. 90–93.
- Samogorov V. A., Rybacheva O. S. Reconstruction of the historical part of Samara, taking into account the existing boundaries of land use areas (yard spaces). Bulletin of the Volgograd State University of Architecture and Civil Engineering. – No. 31-1(50). – 2013. – P. 300–304.
- Shangwei Village Plugin House / People's Architecture Office [Internet resource]. URL: https://www.archdaily.com/906235/shangwei-village-plugin-house-peoples-architecture-office?ad_source=search&ad_medium=projects_tab.
- The Slender Hotel / Sahabat Selojene [Internet resource]. URL: https://www.archdaily.com/1009982/the-slender-hotel-sahabat-selojene?ad_source=search&ad_medium=projects_tab.
- Seongsan-dong Mix-use / a round architects [Internet resource]. URL: https://www.archdaily.com/899621/seongsan-dong-mix-use-a-round-architects.
- Trau Quy House / TOOB STUDIO [Internet resource]. URL: https://www.archdaily.com/961454/trau-quy-house-toob-studio.
Supplementary files













