Geological position and structural control of ore mineralization of the Toupugol-Khanmeyshorsky district (the Polar Urals) as a result of remote sensing
- Authors: Ivanova J.N.1,2, Vyhristenko R.I.1, Vikentyev I.V.1,2
-
Affiliations:
- Institute of Geology of Ore Deposits, Petrography, Mineralogy and Geochemistry of the Russian Academy of Sciences
- Peoples' Friendship University of Russia
- Issue: No 3 (2019)
- Pages: 66-79
- Section: ИСПОЛЬЗОВАНИЕ КОСМИЧЕСКОЙ ИНФОРМАЦИИ О ЗЕМЛЕ
- URL: https://journals.eco-vector.com/0205-9614/article/view/14271
- DOI: https://doi.org/10.31857/S0205-96142019366-79
- ID: 14271
Cite item
Full Text
Abstract
Large ring, arc and radial structures were identified based on complex processing of the multispectral satellite imagery of the Landsat apparatus. These structures control the position of gold mineralization of the Toupugol-Khanmeyshorsky ore district (Novogodnenskoe ore cluster, the Polar Urals). The comparative characteristic of this territory with the Turinsk-Auerbakh ore district (Auerbach ore cluster, the Northern Urals) was held. Similar geological features, regularity of the structures and location of gold mineralization in the system of morphostructures were revealed. For the first time, the depths of the formation of magmatic chambers were determined for the Novogodnensky and Auerbach paleovolcanic structures. These chambers were located at depths of ~4 km and ~20 km, respectively in the upper and middle parts of the earth's crust. These are sitting. The Novogodnensky structure is a monogenic structure. It formed under the influence of one leading geological process. The Auerbach structure is larger and more complex structure; it is characterized by a long and multi-stage development. The paleovolcanic reconstruction showed that the root (focal) part of the Auerbach structure plunges from the southeast to the northwest during of the magmatic process evolution. Gold mineralization within the studied areas of the Northern Urals is confined to the intersections of radial faults near the centers of large concentric morphostructures.
Full Text
ВВЕДЕНИЕ
Спектр возможностей применения материалов космической съемки в практике геолого-съемочных и поисковых работ с годами расширяется. Снимки содержат принципиально новую информацию о геологическом строении территорий, которую нельзя получить традиционными «докосмическими» методами. При дешифрировании космоснимков выделяются радиальные и кольцевые структуры, выявляются зоны скрытых разломов фундамента (Томсон, Фаворская, 1968; Ваганов и др., 1985; Трифонов, Кожурин, 2010). Космоснимки обеспечивают повышенную обзорность исследуемых площадей; дают возможность увидеть тектоническое строение территорий в виде упорядоченной системы морфоструктур различного типа и ранга, что важно для дальнейшего геодинамического анализа; уточняют имеющиеся геологические карты и дополняют их морфоструктурной информацией (Волчанская, 1981; Морфоструктурные исследования…, 1985; Егоров, 2010). Применение материалов космической съемки особенно актуально для малоизученных территорий российского крайнего севера с суровым климатом, плохой транспортной инфраструктурой и, как правило, с мощным чехлом Mz-Kz отложений. На сегодняшний день использование космоснимков геоинформационного обеспечения, как показывает мировой опыт (Трифонов и др., 1983; Graham et al., 2018), позволяет примерно в три раза сократить затраты времени и средств на поиск и оценку новых месторождений (Мельников и др., 2014). Высокопроизводительная компьютерная техника и многофункциональное программное обеспечение открывают качественно новые возможности реализации информационных технологий по применению многоспектральных космических изображений при решении прогнозно-поисковых задач (Nezampour, Rassa, 2005; Зверев и др., 2005; Tommaso, Rubinstein, 2007; Zhang at al., 2007; Миловский и др., 2007; 2010; Зверев, Гаврилова, 2012; Vural et al., 2017; Yousefi et al., 2018).
Исторически Средний Урал, а позднее и Южный, составляют основу Российской индустрии, и их недра являются гораздо более изученными, чем более северные территории этой складчатой области. Рудоперспективность последних, прежде всего на золото, не вызывает сомнения, поскольку здесь известно много золоторудных объектов разного масштаба и различной формационной принадлежности (Беневольский и др., 2004; Лючкин и др., 2006). Проблема обнаружения скрытого потенциала состоит во все еще слабой геологической изученности территории. По приблизительным подсчетам, за весь период исследования Уральского севера общее количество анализов на золото составило не более 30 тыс. проб, а для сравнимой по площади территории Среднего и Южного Урала этот показатель превышает 15 млн. проб (Душин, 2013).
Целью настоящего исследования является анализ геолого-структурных особенностей локализации и уточнение региональной позиции золоторудных месторождений и проявлений Тоупугол-Ханмейшорского рудного района с учетом выявленных при космодешифрировании линеаментов и концентрических структур; сопоставление этой площади со старопромышленным Турьинско-Ауэрбаховским рудным районом для определения закономерностей размещения месторождений и рудопроявлений на изучаемых территориях.
ГЕОЛОГИЧЕСКОЕ СТРОЕНИЕ ТОУПУГОЛХАНМЕЙШОРСКОГО РУДНОГО РАЙОНА
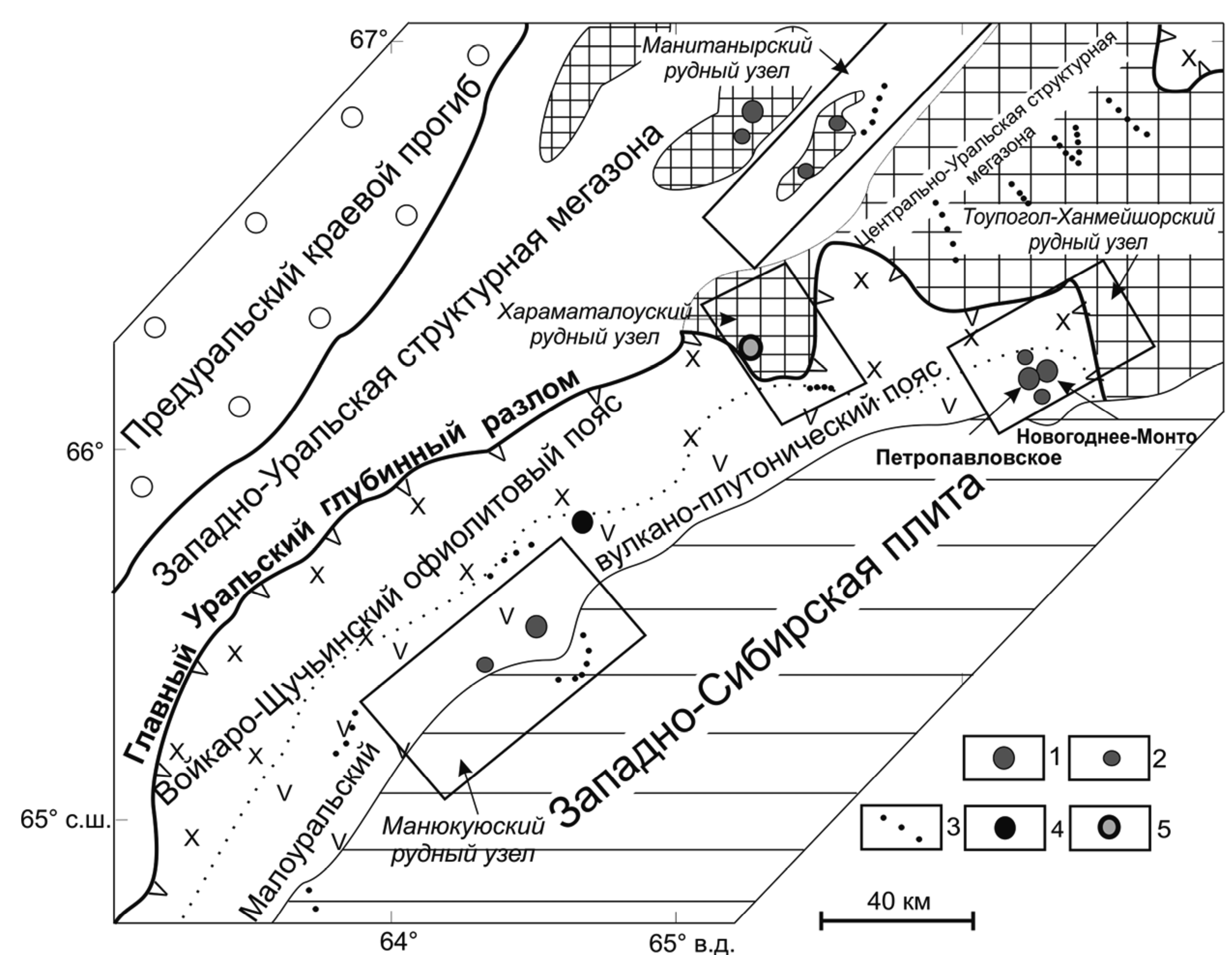
Тоупугол-Ханмейшорский рудный район локализован на северо-восточном окончании Малоуральского вулкано-плутонического пояса (ВПП) и представляет собой крупную асимметричную вулкано-тектоническую депрессию (Лючкин и др., 2006; Кениг, Бутаков, 2013). Изученная часть Малоуральского ВПП в среднем палеозое (O3–C1) представляла собой либо островную дугу (O3–D1), которая в раннем девоне сменилась окраинно-континентальным вулкано-плутоническим поясом (Язева, Бочкарев, 1984), либо островную дугу, сформировавшуюся на гетерогенном основании (Кузнецов, Романюк, 2014; Соболев и др., 2018). В северной и западной части Войкарской зоны локализованы офиолитовые габбро-гипербазитовые массивы: Войкаро-Сыньинский и Рай-Из, окаймленные на юге и востоке полосой габбро-амфиболитов. Восточнее расположены ордовикско-девонские островодужные плутонические и осадочно-вулканогенные комплексы, объединенные в Малоуральскую подзону (рис. 1).
Рис. 1. Положение Петропавловского месторождения в Малоуральском ВПП. Структурная основа по (Черняев и др., 2005), с небольшими изменениями. 1–3 — месторождения (1), рудопроявления (2) и россыпи (3) золота; 4 — V-Fe-Cu-(Au) рудопроявление; 5 — Cu-Zn-колчеданное рудопроявление.
Рис. 2. Геологическая карта Новогодненского рудного поля и геологический разрез по линии I–II (составлено с использованием данных А.Г. Волчкова и др. (ФГУП ЦНИГРИ, 2008), Р.Х. Мансурова, 2013; ОАО «Ямалзолото». 1–3 — стратифицированные образования: 1 — тоупуголегартская толща (D1–2tg): известняки, алевролиты, аргиллиты, песчаники; 2–3 — тоупугольская толща (S2–D1tp): 2 — вулканогенно-осадочные и вулканические породы андезибазальтового состава (а), известняки мраморизованные (б), 3 — андезибазальты (на разрезе); 4–7 — интрузивные образования: 4 — малоханмейский габбро-долеритовый комплекс (D3–Tm?): дайки микрогаббро; 5–6 — конгорский габбро-монцонитовый комплекс (D3–C1k): 5 — монцодиориты, 6 — микрогаббро; 7 — собский габбродиорит-плагиогранодиоритовый комплекс (D1–2s): а — 3-я фаза внедрения: кварцевые диоритовые порфириты, плагиогранит-порфиры, б — 2-я фаза внедрения: габбро-диориты, кварцевые диориты порфировидные; 8 — разрывные нарушения: а — главные, б — второстепенные; 9 — направления падения сместителей разрывных нарушений; 10 — относительные смещения по разрывным нарушениям: а — вертикальные, б — горизонтальные; 11–13 — рудно-метасоматические образования: 11 — скарны эпидот-гранат-пироксеновые с золото-сульфидно-магнетитовой минерализацией (проекция на поверхность); 12 — эпидот-гранат-пироксеновые скарны (на разрезе); 13 — магнетитовые тела (на разрезе); 14 — штокверкоподобные золоторудные зоны: а — месторождений Петропавловское и Новогоднее-Монто, б — северного и южного флангов Петропавловского месторождения (прогнозируемые); 15 — основные линейные золоторудные жильно-прожилковые зоны жильного типа (в том числе прогнозируемые); 16 — зоны золото-сульфидной минерализации; 17 — контур Новогодненского рудного поля; 18 — буровые скважины: а на плане, б — на разрезе; 19 — линия разреза.
В пределах этой подзоны (восточнее габбро-амфиболитов) выходят на поверхность вулканогенные толщи (О3–D2) с маломощными прослоями осадочных пород, прорванные интрузиями пестрого состава (от габбро до гранитоидов) (Государственная…, 2007). Эти вулканогенные образования относят к палеозойской островодужной системе Полярного Урала. В эйфеле и вплоть до пермской коллизии с Восточно-Европейским континентом надсубдукционная система Полярного Урала развивалась, скорее всего, как зрелая островная дуга (Ремизов, 2004; Викентьев и др., 2017).
Тоупугол-Ханмейшорский рудный район сложен вулканогенно-осадочными образованиями (O3–D1), локализован в области пересечения зон региональных разломов (Душин, 1997б; Черняев и др., 2005) и вмещает многофазный и полихронный Собский батолит (S2–D2), включающий габбро-диорит-тоналитовый собский (S2–D1–2)и монцогаббро-сиенитовый конгорский (D1–2) плутонические комплексы (Удоратина, Кузнецов, 2007; Соболев и др., 2018) (рис. 2).
Новогодненское рудное поле, расположенное в юго-восточной части Тоупугол-Ханмейшорского рудного района, приурочено к контакту вулканогенно-терригенной тоупугольской толщи (S2–D1) базальт-андезибазальтовой формации и диоритоидов главной (второй) фазы собского комплекса (D1–2). В рудном поле известны два золоторудных месторождения: Петропавловское (золото-порфировое, ~ 26 т Au) и Новогоднее-Монто (Au-Fe-скарновое, 7 т Au), а также ряд рудопроявлений Fe-Au-скарнового, золото-кварцевого и золото-порфирового типов (Кениг, Бутаков, 2013; Викентьев и др., 2017).
Рудное поле (~ 8 км2) представляет собой локальное вулкано-тектоническое поднятие, к востоку переходящее в асимметричную вулкано-тектоническую депрессию, и локализовано в области пересечения зон разрывов субмеридионального, северо-западного и северо-восточного простираний, которые ограничивают рудное поле. Разломы северо-восточного простирания обусловливают блоковое строение рудного района и контролируют размещение более поздних магматических образований субщелочного профиля (Волчков и др., 2007). С этими же системами нарушений связана позиция месторождений Петропавловское и Новогоднее-Монто, а также нескольких рудопроявлений (Западное, Караченцева, Карьерное). Все образования района прорваны дайками и силлами габбро-долеритов, долеритов и лампрофиров малоханмейского комплекса, возраст которых по разным данным либо позднедевонско-раннекаменноугольный (Шишкин, 2009), либо пермо-триасовый (Душин, 1997а; Попова, 2002; Викентьев и др., 2017).
МЕТОДЫ ИССЛЕДОВАНИЯ
В процессе дешифрирования нами была использована трехканальная мозаика, составленная из сцен Landsat 7/ETM+ при комбинации каналов 7–4–2 в растровом формате MrSID. Разрешение на местности ~30 м, площадь около 35000 м2. Дешифрирование проводилась в программе ArcGis. При обработке многоспектральных космических снимков для Полярного Урала основное внимание уделялось выявлению дизъюнктивных нарушений (линейных, дуговых, кольцевых и радиально-концентрических). Наиболее четко линеаменты выражаются при каналах растра RGB=1:2:2 (red с длиной волны от 0.63 до 0.68 мкм, green — от 0.525 до 0.6 мкм и blue — 0.45–0.515 мкм) по резкой границе фототона и рисунку речной сети.
Для реконструкции региональных палеовулканических сооружений нами применялся комплексный подход, основанный на дешифрировании космоснимков, палеофациальном и морфоструктурном анализе, и включающий снятие информативных структурных показателей рельефа и гидрографической сети с различных изображений земной поверхности; выявление главнейших морфоструктурных элементов в региональном масштабе 1:50000; сопоставление с имеющимися геологическими картами и картографическим материалом.
Кроме того, были использованы данные геофизических работ из фондовых отчетов ОАО «Ямалзолото» (Бутаков и др., 2012) (карта расположений аномалий низкого сопротивления (НС) и вызванной поляризации (ВП) для Тоупугол-Ханмейшорского рудного района, масштаб 1:45000) с целью выявления связи дешифрируемых морфоструктур (крупных линеаментов, основной кольцевой структуры и осложняющих ее радиальных разрывных нарушений) с глубинным строением территории
ГЕОФИЗИЧЕСКИЕ ИССЛЕДОВАНИЯ
Геофизические работы выполнены ЦНИГРИ в 2003 г. (Волчков и др., 2005). Были проведены комплексные полевые электроразведочные и магниторазведочные работы на флангах месторождения Новогоднее-Монто; магнитометрические исследования, электроразведочные наблюдения методом сверхдлинноволнового радиоэлектромагнитного профилирования и наземного радиоволнового геометрического зондирования, аэромагнитная съемка и аэрогамма-съемка, а также на ряде перспективных участков — детализационные исследования методом наземного радиозондирования. По результатам этих работ была создана предварительная геолого-геофизическая электромагнитная модель месторождения с выделением участков измененных пород, перспективных на обнаружение золоторудных объектов (Бутаков и др., 2012).
В ходе этих работ была выявлена Северо-Западная рудная зона (рис. 3), являющаяся вероятным северо-западным продолжением месторождения Петропавловское, что косвенно подтверждается данными площадных геофизических работ по продолжению распространения аномалий НС и ВП, маркирующих Петропавловское месторождение. В геофизических полях по данным аэромагнитной и аэрогамма-съемки Тоупугол-Ханмейшорский рудный район располагается в центральной части крупной кольцевой аномальной области с радиально-концентрическим характером знакопеременного магнитного поля. Средний уровень значений ∆Т составляет 58000 нТл (от 57250 до 58875 нТл). В наиболее разведанной части месторождения Новогоднее-Монто отмечены участки с очень высокими градиентами значений ∆T от 57000 до 75000 нТл. Анализ данных магнитной съемки позволяет отметить повторяемость проявления аномалий магнитного поля по форме и интенсивности от профиля к профилю, при этом особенно выделяются аномалии в западной и восточной частях Новогодненского рудного поля.
В целом, Новогодненское рудное поле в геофизических полях фиксируется по следующим признакам: область совмещения аномалий ВП и магнитного поля; область пересечения широких полосовидных зон повышенных относительно фона значений ВП восток-северо-восточного и запад-северо-западного направлений; участки относительно пониженных удельных электрических сопротивлений; зоны линейных градиентов физических полей, маркирующие активизированные (в т. ч. рудоносные) разрывные нарушения (Волчков и др., 2005).
РЕЗУЛЬТАТЫ ДЕШИФРИРОВАНИЯ КОСМИЧЕСКИХ ИЗОБРАЖЕНИЙ
Дешифрирование космоснимков с дальнейшей корреляцией выявленных морфоструктур с мелкомасштабными геологическими картами позволило выделить в пределах рудного района палеовулканы центрального типа, осложненные кальдерами (по смене вулканических фаций: от центра к периферии жерловой-прижерловой, склоновой и удаленной). Визуальное дешифрирование материалов позволило выделить кольцевые структуры первого порядка диаметром ~ 25–30 км, второго порядка диаметром 10–15 км и третьего порядка диаметром несколько км (рис. 4а, б) (Горный и др., 2014).
Кольцевые и дуговые морфоструктуры сопровождаются протяженными до 20 км радиальными линеаментами преимущественно северо-восточного и северо-западного направления (радиальные зоны 1-го порядка), частично локализованные под мощным покровом кайнозойских отложений Западно-Сибирской плиты. На рис. 4а представлена крупная структура овальной формы размером 6 на 10 км, вытянутая в северо-восточном направлении, и небольшие кольцевые структуры, осложняющие ее (Викентьев и др., 2017). Эти нарушения или их фрагменты отчетливо проявлены в геофизических полях. Аномалии НС и ВП совпадают с морфоструктурами, выделенными в результате дешифрирования космоснимков (см. рис. 3), и принадлежат Новогодненской структуре. С удалением от этой кольцевой структуры контрастность аномалий резко уменьшается (Бутаков и др., 2012).
Рис. 3. Карта расположения аномалий НС и ВП для Тоупугол-Ханмейшорского рудного района (геофизическая основа по Бутаков и др., 2012) с вынесенными морфоструктурами, полученными в процессе космодешифрирования. 1–3 — геофизические аномалии: 1 — аномалии НС; 2 — аномалии ВП; 3, 4 — границы: 3 — рудных полей (на севере — Ханмейшорское, на юге — Новогодненское); 4 — месторождений Новогоднее-Монто и Петропавловское; 5 — месторождения: 1 — Петропавловское, 2 — Новогоднее-Монто; 6 — границы перспективной Северо-Западной зоны, выявленной в ходе геофизических работ; 7, 8 — поисковые участки: их границы (7) и названия (8), участки: 1 — Тоупугольский, 2 — Аномальный, 3 — Ханмейшорский, 4 — Северный, 5 — Структурный, 6 — Караченцева, 7 — Придорожный, 8 — Карьерный, 9 — Линейный, 10 — Сипугольский, 11 — Медный, 12, 13 — Западный (12 ‒ южный фланг, 13 — северный фланг); 9 — скважины; 10 — изолинии поверхности рельефа; 11 — морфоструктуры, вынесенные с рис. 4а.
Рис. 4. Дешифрирование космоснимков Тоупугол-Ханмейшорского (а) и Турьинско-Ауэрбаховского рудных районов (б). 1–3 — линеаменты: 1 — концентрические морфоструктуры 1 и 2-го порядков; 2 — морфоструктуры центрального типа 3-го порядка; 3 — радиальные морфоструктуры; 4 — контуры рудных районов; 5 — золоторудные месторождения; 6 — золотопроявления; 7 — внемасштабные субвулканические тела порфиритовых диоритов по Прямоносов и др., 2001; Петров и др., 2011.
Дешифрируемые радиальные зоны (в основном северо-западного направления) 1-го порядка имеют значительную протяженность и, вероятно, представляют собой активизированные структуры более древнего заложения. Эти линеаменты отвечают ослабленным участкам земной поверхности (зоны разуплотнения), которые фиксируют разломы фундамента. Простирания морфоструктур 2-го порядка (более мелкие линейные зоны) часто не соответствуют простиранию линейных зон 1-го порядка и, очевидно, они менее глубинные. Поскольку обычно гидротермальное оруденение приурочено к участкам наибольшей раздробленности и проницаемости земной коры, является закономерным его тяготение к местам сгущения разломов — местам пересечения радиальных линеаментов вблизи концентров крупных кольцевых структур (см. рис. 3, 4а).
ОБСУЖДЕНИЕ РЕЗУЛЬТАТОВ
В ряде работ, посвященных проблемам металлогении, показана важная роль разломов глубокого заложения в локализации структурных блоков, содержащих месторождения твердых полезных ископаемых (Томсон, Фаворская, 1968; Фаворская и др., 1969; Баскина, 1975; Анализ космических снимков…, 1979; Ананьев и др., 2010). Эти долгоживущие линейные структуры определяют тектонический контроль магматических проявлений и сопутствующего рудообразования.
Разломы глубокого заложения представляют собой протяженные структуры, которые, возникнув, например, в протерозое, впоследствии испытывали периоды активизации, в течение которых по ним происходили тектонические подвижки, сопровождавшиеся значительным притоком мантийного тепла и возникновением очаговых коровых структур, нередко контролирующих размещение рудных узлов. Поэтому зоны глубинных разломов часто характеризуются повышенной рудоносностью (Томсон, Фаворская, 1968; Морфоструктурные…, 1985; Маракушев, 1996; Аэрокосмические методы…, 2000 и др.).
Для рассматриваемых рудных районов такими структурами являются радиальные зоны разломов 1-го порядка протяженностью до 25 км, имеющие северо-восточное и северо-западное простирания, которые также подтверждаются и геофизическими данными.
Новогодненская структура представляет собой вулкано-плутоническую моногенную структуру 2-го порядка ‒ вероятно, образованную под влиянием одного ведущего геологического процесса ‒ и осложняется концентрическими структурами 3-го порядка (меньшего диаметра), которые, скорее всего, сопровождали малые интрузии (см., например, Горный и др., 2014).
Сопоставление полученной морфоструктурной карты с таковой для территории Северного Урала (Турьинско-Ауэрбаховский рудный район) выявило наличие схожих черт и закономерностей размещения месторождений и рудопроявлений в системах морфоструктур.
Турьинско-Ауэрбаховский рудный район расположен на территории Северного Урала в восточной части Ауэрбаховского вулкано-плутонического пояса (D1–2). Этот пояс сформировался в режиме активной континентальной окраины в результате столкновения Тагильской островной дуги с Восточно-Уральским микроконтинентом (Язева, Бочкарев, 1985). В этом районе локализована одноименная вулкано-тектоническая депрессия, представленная грабен-синклиналью, сложенная вулканогенноосадочными и вулканогенными породами краснотурьинской свиты (D1). В ее восточной части находится Ауэрбаховский интрузивный массив габбро-диорит-гранодиоритовой формации (D1–2), комагматичный стратифицированным породам андезитовой формации и сложенный гранитами, гранодиоритами, кварцевыми диоритами, диоритами, а также подчиненными габбро и габбро-диоритами; жильные тела имеют средне-основной, реже кислый состав. На контакте карбонатных пород краснотурьинской свиты с Ауэрбаховской интрузией и ее сателлитами развиты многочисленные скарновые, магнетитовые и медно-магнетитовые месторождения, характеризующиеся повышенной золотоносностью (Мурзин и др., 2010). В пределах рудного района известно крупное золоторудное месторождение Воронцовское и ряд рудопроявлений золото-сульфидно-кварцевого и золото-кварцевого типов (Викентьев и др., 2016).
В строении Турьинско-Ауэрбаховского рудного района также участвуют кольцевые, дуговые и радиальные элементы. Ауэрбаховская структура имеет овальную форму 18 × 20 км и ориентирована в северо-западном направлении (рис. 4б). Внутри нее выделяются более мелкие кольцевые структуры диаметром от 1 до 5 км. Радиальные морфоструктуры имеют длину от 5 до 25 км. Они пересекают рудный район и выходят за пределы изучаемой площади. К ним относятся структуры с преобладающей северо-западной и северо-восточной ориентировкой. Месторождения и рудопроявления района принадлежат к концентрам морфоструктур и к узлам пересечения региональных структур (Выхристенко, 2014). Все кольцевые и дуговые элементы Турьинско-Ауэрбаховского рудного района можно разделить на структуры первого и второго порядков. Структура первого порядка — это крупная Ауэрбаховская полигенная структура, в которую вложены (телескопированы) структуры меньшего размера. К структурам второго порядка отнесены кольцевые и дуговые структуры диаметром от 1 до 5 км.
Важной характеристикой системы кольцевых структур Турьинско-Ауэрбаховского рудного района является положение ее центроида и глубина заложения магматического очага, с периодами тектонической активности которого, по всей видимости, было связано образование кольцевых структур. Характер расположения центроидов колец основной кольцевой структуры позволяет восстановить характер и траекторию перемещения очага, формирующего данные структуры (Ананьев и др., 2010). По тектоновулканическим расчетам (Ваганов и др., 1985; Аэрокосмические…, 2000) выяснено, что вулканические взрывы, локализуясь в самых верхних горизонтах земной коры, на глубине менее 3.5 км, могут привести к образованию кальдер с диаметром воронки до 10 км. Более крупные кольцевые структуры, заполненные вулканическими породами (диаметр более 15–20 км), реконструированы как образования провальных (обрушение кровли вследствие оттока или перераспределения магматического материала) или кольцевых депрессий с глубиной магматического очага 15–20 км. Таким образом, заложение Ауэрбаховской кольцевой структуры диаметром ~20 км, скорее всего, было связано с очагом, расположенным на глубине ~20 км (или даже глубже? — с учетом субщелочной специализации магматизма, Vikentyev et al., 2019). Эта кольцевая структура 1-го порядка, вероятно, была сформирована в периоды тектонической активизации, сопровождавшей импульсы магматической деятельности среднекорового очага, а осложняющие структуры более высокого порядка — маркируют позицию промежуточных малоглубинных очагов (н-р, Горный и др., 2014).
Предполагая, что развитие процесса для Турьинско-Ауэрбаховского рудного района шло по восходящей, а положение центроидов в плане соответствует области очага, последовательное соединение центроидов показывает траекторию (проекция на горизонтальную плоскость) пульсационно-поступательного развития эндогененной системы (рис. 5а). Полученная в результате такой тектоновулканической реконструкции траектория указывает на то, что в целом со временем положение последовательно формировавшихся очагов смещалось с юго-востока на северо-запад.
Рис. 5. Морфометрические модели кольцевых структур Аурбаховского (а) и Новогодненского (б) рудных полей: 1 — проекция на дневную поверхность траектории изменения положения магматического очага в Воронцовском рудном поле (а); 2 — центроиды кольцевых структур и их номера; 3 — основные кольцевые структуры и их номера; 4 — главные линеаменты рудных районов.
Для Новогодненской структуры глубина заложения кольцевых структур составляет ~4 км и отвечает малоглубинному очагу (4–5 км), с которым было связано рудообразование на Петропавловском месторождении (рис. 5б). Полученные данные не противоречат результатам (Соболев и др., 2018). Так, рассчитанные по геобарометрам (Johnson, Rutherford, 1989; Ridolfi et al., 2010) давления, отвечающие условиям кристаллизации роговой обманки, свидетельствуют о формировании пород конгорского и собского интрузивных комплексов в относительно малоглубинных условиях (4–12 км и 8–14 км соответственно).
Таким образом, позиция золоторудных месторождений и проявлений в пределах Тоупугол-Ханмейшорского рудного района контролировалась системами крутопадающих разрывов северо-западного и северо-восточного простирания; сами эти рудные объекты связаны с субвулканическими телами порфировых диоритов и приурочена к крупной кольцевой структуре. Золоторудная минерализация отвечает узлам пересечения радиальных разломов вблизи центра крупной концентрической морфоструктуры (см. рис. 4а).
ЗАКЛЮЧЕНИЕ
В результате проведенных исследований было установлено, что Тоупугол-Ханмейшорский рудный район характеризуется широким развитием линейных и кольцевых структур, отчетливо проявляющихся на космоснимках. Его территория отвечает крупной кольцевой структуре 2-го порядка диамером около 10 км.
Месторождения Ауэрбаховского рудного поля также локализованы внутри крупной кольцевой структуры (диаметром 18–20 км) телескопированного строения, указывающего на многоэтапное ее развитие: полученная траектория фокусов указывает на то, что в целом со временем положение последовательно формировавшихся очагов смещалось с юго-востока на северо-запад. Глубина магматических очагов для Новогодненской структуры составляла порядка 4 км, а Ауэрбаховской — около 20 км. Внутреннее строение кольцевых морфоструктур осложнялось пересечением концентрических и (или) дуговых разломов радиальными разрывными нарушениями северо-восточного и северо-западного простирания различных рангов, а также участками сосредоточения мелких кольцевых структур.
Основанный на космодешифрировании комплексный подход позволил выявить приуроченность зон минерализации (золоторудные месторождения и рудопроявления) севера Урала к сложно построенной системе кольцевых и радиальных структур. Представляется, что первостепенное значение в рудолокализации играют крупные кольцевые морфоструктуры, реконструированные в качестве корневых частей длительно развивавшихся стратовулканов с глубокофокусными (Ауэрбаховское рудное поле) и относительно мелкофокусными (Новогодненское рудное поле) магматическими очагами.
В целом, на севере восточного склона Урала поиски золоторудной гидротермальной минерализации следует локализовать в участках сгущения разломов и, прежде всего, в местах пересечения радиальных линеаментов вблизи концентров крупных кольцевых морфоструктур.
ИСТОЧНИК ФИНАНСИРОВАНИЯ
Работа выполнена при поддержке проекта РФФИ № 18–05–70041 Ресурсы Арктики.
About the authors
J. N. Ivanova
Institute of Geology of Ore Deposits, Petrography, Mineralogy and Geochemistry of the Russian Academy of Sciences; Peoples' Friendship University of Russia
Author for correspondence.
Email: jnivanova@yandex.ru
Russian Federation, Moscow
R. I. Vyhristenko
Institute of Geology of Ore Deposits, Petrography, Mineralogy and Geochemistry of the Russian Academy of Sciences
Email: jnivanova@yandex.ru
Russian Federation, Moscow
I. V. Vikentyev
Institute of Geology of Ore Deposits, Petrography, Mineralogy and Geochemistry of the Russian Academy of Sciences; Peoples' Friendship University of Russia
Email: jnivanova@yandex.ru
Russian Federation, Moscow
References
- Aerokosmicheskie metody geologicheskikh issledovanii / Pod red. A.V. Pertsova [Aerospace methods of geological research / A.V. Pertsov (ed.). SPb.: VSEGEI, 2000. 316 p. (in Russian).
- Analiz kosmicheskikh snimkov pri tektonomagmaticheskikh i metallogenicheskikh issledovaniyakh / pod red. I.N. Tomsona [Analysis of satellite images during tectonomagmatic and metallogenic studies / I.N. Thomson (ed.)]. M.: Nauka, 1979. 164 p. (in Russian).
- Anan'ev Yu.S., Potseluev A.A., Zhitkov V.G. Kosmostrukturnye modeli zolotorudnykh ob"ektov Zapadnoi Kalby [Cosmostructural models of gold objects of Western Kalba] // Izv. Tomskogo politekh. un-ta. 2010. V. 317. № 1. P. 35–42. (in Russian).
- Baskina V.A. Magmatizm zon kontsentratsii krupnykh rudnykh mestorozhdenii // Magmatizm i poleznye iskopaemye [Magmatism of concentration zones of large ore deposits // Magmatism and minerals]. M.: Nauka, 1975. P. 25–42. (in Russian).
- Benevol'skii B.I., Volchkov A.G., Protskii A.G. Perspektivy sozdaniya rudnoi syr'evoi bazy zolotodobyvayushchei promyshlennosti v Polyarnoural'skom regione [Prospects for the creation of the ore raw material base of the gold mining industry in the Polar and Ural region] // Mineral'nye resursy Rossii. Ekonomika i upravlenie. 2004. № 2. P. 10–15.(in Russian).
- Butakov K.V., Gapdulkadyrov M.M., Shamsutdinova R.R. Otsenochnye raboty na zolotoe orudenenie v predelakh Toupugol-Khanmeishorskoi ploshchadi. Otchet o rezul'tatakh rabot za 2010–2012 gg. Rezul'taty otsenochnykh rabot v predelakh Toupugol-Khanmeishorskoi ploshchadi [Evaluation work for gold mineralization within Toupugol-Khanmeyshor Square. Report on the results of work for 2010–2012. The results of the evaluation work within Toupugol-Khanmeyshor Square]. Labytnangi, 2012. 126 p. (in Russian).
- Chernyaev E.V., Chernyaeva E.I., Sedel'nikova A.Yu.Geologiya zoloto-skarnovogo mestorozhdeniya Novo- godnee-Monto (Polyarnyi Ural) // Skarny, ikh genezis i rudonosnost' (Fe, Cu, Au, W, Sn, …). Mat. konf. XI Chteniya A.N. Zavaritskogo [Geology of the Novogodnee-Monto gold-skarn deposit (Polar Urals) // Skarns, their genesis and ore content (Fe, Cu, Au, W, Sn, …). Conference proceedings XI Readings A.N. Zavaritsky]. Ekaterinburg: IGIG URO RAN, 2005. P. 131–137. (in Russian).
- Dushin V.A. Korrelyatsiya magmaticheskikh kompleksov mezo-kainozoya severa Urala i sopredel'nykh territorii // Geologiya i mineral'nye resursy Severo-Vostoka Rossii. T. II [Correlation of igneous complexes of the Meso-Cenozoic north of the Urals and adjacent territories // Geology and mineral resources of the North-East of Russia. V. II] Syktyvkar: Geoprint, 1997a. P. 156–157. (in Russian).
- Dushin V.A. Magmatizm i geodinamika paleo- kontinental'nogo sektora severa Urala [Magmatism and geodynamics of the paleocontinental sector of the north of the Urals]. M.: Nedra, 1997b. 213 p. (in Russian).
- Dushin V.A., Malyugin A.A., Koz'min V.S. et al. Nekotorye osobennosti razmeshcheniya blagorodnometall'nogo orudeneniya v predelakh Ural'skogo Severa [Some features of the placement of noble metal mineralization in the Ural North] // Izv. vuzov. Gornyi zhurnal. 2013. № 8. P. 34–41. (in Russian).
- Egorov V.I. Morfostrukturnye issledovaniya ploshchadei razvitiya kimberlitovogo magmatizma // Dis. … kand. geogr. nauk [Morphostructural studies of the areas of development of kimberlite magmatism // Dis. … PhD geogr. sciences] SPb.: VSEGEI, 2010. 134 p. (in Russian).
- Favorskaya M.A, Tomson I.N., Ivanov R.G. et al. Svyaz' magmatizma i ehndogennoi mineragenii s blokovoi tektonikoi [The relationship of magmatism and endogenous minerageny with block tectonics]. M.: Nedra, 1969. 264 p. (in Russian).
- Gornyi V.I., Kritsuk S.G., Latypov I. Sh., Tronin A.A. Osobennosti mineralogicheskoi zonal'nosti rudno-magmaticheskikh sistem, vmeshchayushchikh kvartsevo-zhil'nye mestorozhdeniya zolota (po materialam sputnikovoi spektrometrii) [Features of the mineralogical zoning of ore-magmatic systems containing quartz-vein gold deposits (based on satellite spectrometry)] // Sovremennye problemy distantsionnogo zondirovaniya Zemli iz kosmosa. 2014. V. 11. № 3. P. 140–156. (in Russian).
- Gosudarstvennaya geologicheskaya karta Rossiiskoi Federatsii. Masshtab 1:1 000000 (3-e pokol.). Seriya Ural'skaya. List Q 41 — Vorkuta. Ob"yasnitel'naya zapiska [State geological map of the Russian Federation. Scale 1: 1 000000 (3rd generation). Ural series. Sheet Q 41 — Vorkuta. Explanatory note]. SPb.: VSEGEI, 2007. 541 p. (in Russian).
- Graham G.E., Kokaly R.F., Kelley K.D. et al. Application of imaging spectroscopy for mineral exploration in Alaska: a study over porphyry Cu deposits in the Eastern Alaska Range // Econ. Geol. 2018. V. 113. № 2. Р. 489–510. doi: 10.5382/econgeo.2018.4559.
- Johnson M.C., Rutherford M.J. Experimental calibration of the aluminum-in-hornblende geobarometer with application to Long Valley caldera (California) volcanic rocks // Geology. 1989. V. 17. № 9. P. 837–841. doi: 10.1130/0091–7613(1989)017.
- Kenig V.V., Butakov K.V. Mestorozhdeniya rudnogo zolota Novogodnee-Monto i Petropavlovskoe — novyi zolotorudnyi raion na Polyarnom Urale [Deposits of gold ore Novogodnee-Monto and Petropavlovskoye — a new gold mine in the Polar Urals] // Razvedka i okhrana nedr. 2013. № 11. P. 22–24. (in Russian).
- Kuznetsov N.B., Romanyuk T.V. Paleozoiskaya evolyutsiya Polyarnogo Urala: Voikarskii bassein s koroi okeanicheskogo tipa sushchestvoval ne menee 65 mln let [The Paleozoic evolution of the Polar Urals: the Voikar basin with the oceanic type crust existed for at least 65 million years] // Byul. MOIP, otd. geol. 2014. V. 89. № 5. P. 56–70. (in Russian).
- Lyuchkin V.A., Tolokonnikov A.V., Vodovatov O.V. et al. Zolotorudnye mestorozhdeniya Novogodnenskogo rudnogo polya na Polyarnom Urale // Almazy i blagorodnye metally Timano-Ural'skogo regiona. Mat. konf. [Gold deposits of the Novogodnensky ore field in the Polar Urals // Diamonds and precious metals of the Timan-Ural region. Conference proceedings] Syktyvkar, 2006. P. 186–189. (in Russian).
- Mansurov R. Kh. Geologo-strukturnye usloviya lokalizatsii Petropavlovskogo zolotorudnogo mestorozhdeniya (Polyarnyi Ural). Avtoref. dis. … kand. geol.-miner. nauk [Geological and structural conditions of localization of the Petropavlovsk gold deposit (Polar Urals). Abstract of dis. … PhD geol.-miner. sciences] M., 2013. 22 p. (in Russian).
- Marakushev A.A. Rudonosnost' vzryvnykh kol'tsevykh struktur [Ore potential of explosive ring structures] // Geol. rud. mestor. 1996. V. 38. № 6. P. 500–511. (in Russian).
- Mel'nikov V.A., Perminov A.N., Rembeza A.I. et al. Osnovy analiza i proektirovaniya kosmicheskikh sistem monitoringa i prognozirovaniya prirodnykh i tekhnogennykh katastrof [Fundamentals of analysis and design of space systems for monitoring and forecasting natural and man-made disasters]. M.: Mashinostroenie, 2014. 736 p. (in Russian).
- Milovskii G.A., Denisova E.A., Ezhov A.A., Kalenkovich N.S. Prognozirovanie orudeneniya na Sob'-Kharbeiskoi ploshchadi (Polyarnyi Ural) po kosmogeologicheskim dannym [Prediction of mineralization in Sob-Kharbeiskaya area (Polar Urals) using cosmological data] // Issled. Zemli iz kosmosa. 2007. № 6. P. 29–36. (in Russian).
- Milovskii G.A., Rudakov V.V., Lebedev V.V. et al. Primenenie kosmicheskoi s"emki dlya prognoza zolotogo orudeneniya v zonakh glubinnykh razlomov na Severo-Vostoke Rossii [The use of space imagery to predict gold mineralization in the zones of deep faults in North-East Russia] // Issled. Zemli iz kosmosa. 2010. № 3. P. 30–34. (in Russian).
- Murzin V.V., Sazonov V.N., Ronkin Yu.L. Model' formiro- vaniya Vorontsovskogo zolotorudnogo mestorozhdeniya na Urale (Karlinskii tip): novye dannye i problemy [The formation model of the Vorontsovskoye gold deposit in the Urals (Karlinsky type): new data and problems] // Litosfera. 2010. № 6. P. 66–73. (in Russian).
- Nezampour M.H., Rassa I. Using remote sensing technology for the determination of mineralization in the Kal-e-Kafi porphyritic deposit, Anarak, Iran // Min. Depos. Res.: Meeting the Global Challenge. 2005. Р. 565–567. doi.org/10.1007/3–540–27946–6_145
- Petrov G.A., Zhiganov A.A., Stefanovskii V.V. et al. Gosudarstvennaya geologicheskaya karta Rossiiskoi Federatsii. Masshtab 1:1 000000 (tret'e pokolenie). Seriya Ural'skaya. List O 41 Ekaterinburg. Ob"yasnitel'naya zapiska [State geological map of the Russian Federation. Scale 1: 1 000000 (third generation). Ural series. Sheet O 41 Ekaterinburg. Explanatory note]. SPb.: VSEGEI, 2011. 492 p. (in Russian).
- Popova O.M. Mezozoiskii bazitovyi magmatizm i minerageniya Polyarnogo Urala. Avtoref. dis. …kand. geol.-min. nauk [Mesozoic basic magmatism and minerageny of the Polar Urals. Abstract of dis. … PhD geol.-miner. sciences]. Ekaterinburg, 2002. 24 p. (in Russian).
- Pryamonosov A.P., Stepanov A.E., Telegina T.V. et al. Gosudarstvennaya geologicheskaya karta Rossiiskoi Federatsii. Masshtab 1: 200 000 (izdanie vtoroe). Seriya Polyarno-Ural'skaya. List Q 41-XII. Ob"yasnitel'naya zapiska [State geological map of the Russian Federation. Scale 1: 200,000 (second edition). Series Polar Ural. Sheet Q 41-XII. Explanatory note]. Salekhard: Komitet prirodnykh resursov po Yamalo-Nenetskomu avtonomnomu okrugu, 2001. 231 p. (in Russian).
- Remizov D.N. Ostrovoduzhnaya sistema Polyarnogo Urala (petrologiya i ehvolyutsiya glubinnykh zon) [The island arc system of the Polar Urals (petrology and the evolution of deep zones)]. Ekaterinburg: URO RAN, 2004. 221 p. (in Russian).
- Ridolfi F., Renzulli A., Puerini M. Stability and chemical equilibrium of amphibole in calc-alkaline magmas: an overview, new thermobarometric formulations and application to subduction-related volcanoes // Contrib. Mineral. Petrol. 2010. V. 160. № 1. P. 45–66. doi: 10.1007/s00410–009–0465–7
- Shishkin M.A. Aktualizatsiya legendy Polyarno-Ural'skoi serii listov Gosgeolkarty 200 (izdanie vtoroe) [Actualization of the legend of the Polar Ural series of sheets of State Geological Map 200 (2nd ed.)]. SPb.: VSEGEI, 2009. 213 p. (in Russian).
- Sobolev I.D., Soboleva A.A., Udoratina O.V. et al. Devonskii ostrovoduzhnyi magmatizm Voikarskoi zony Polyarnogo Urala [Devonian island arc magmatism of the Voikar zone of the Polar Urals] // Geotektonika. 2018. № 5. P. 39–74. (in Russian).
- Tommaso I.D., Rubinstein N. Hydrothermal alteration mapping using ASTER data in the Infiernillo porphyry deposit, Argentina // Ore Geol. Rev. 2007. V. 32, № . 1–2. Р. 275–290. doi.org/10.1016/j.oregeorev.2006.05.004
- Tomson I.N., Favorskaya M.A. Rudokontsentriruyushchie struktury i printsipy lokal'nogo prognozirovaniya ehndogennogo orudeneniya [Ore-concentrating structures and principles of local prediction of endogenous mineralization] // Sov. geologiya. 1968. № 10. P. 6–20. (in Russian).
- Trifonov V.G., Kozhurin A.I. Problemy izucheniya aktivnykh razlomov [Problems studying active faults] // Geotektonika. 2010. № 6. P. 79–98. (in Russian).
- Trifonov V.G., Makarov V.I., Safonov Yu.V., Flo- renskii P.V. Kosmicheskaya informatsiya v geologii [Space information in geology]. M.: Nauka, 1983. 536 p. (in Russian).
- Udoratina O.V., Kuznetsov N.B. Sobskii plagiogranitoidnyi kompleks Polyarnogo Urala [Sobsky plagiogranitoid complex of the Polar Urals] // Byull. MOIP, otd. geol. 2007. V. 82. № 3. P. 49–59. (in Russian).
- Vaganov V.I., Ivankin P.F., Kropotkin P.N. et al. Vzryvnye kol'tsevye struktury shchitov i platform [Explosive ring structures of shields and platforms]. M.: Nauka, 1985. 200 p. (in Russian).
- Vikent'ev I.V., Mansurov R. Kh., Ivanova Yu.N. et al. Zoloto-porfirovoe Petropavlovskoe mestorozhdenie (Polyarnyi Ural): geologicheskaya pozitsiya, mineralogiya i usloviya obrazovaniya [Petropavlovsk porphyry-gold deposit (Polar Urals): geological position, mineralogy and formation conditions] // Geologiya rudnykh mestorozhdenii. 2017. V. 59. № 6. P. 501–541. (in Russian).
- Vikent'ev I.V., Murzin V.V., Tyukova E.E. et al. Vorontsovskoe zolotorudnoe mestorozhdenie. Geologiya, formy zolota, genesis [Vorontsovskoye gold deposit. Geology, forms of gold, genesis]. Ekaterinburg: Fort Dialog-Iset', 2016. 206 p. (in Russian).
- Vikentyev I.V., Tyukova E.E., Vikent’eva O.V. et al. Vorontsovsk Carlin-style gold deposit in the North Urals: mineralogy, fluid inclusion and isotope data for genetic model // Chemical Geology. 2019. V. 508. P. 144–166. doi.org/10.1016/j.chemgeo.2018.07.020
- Volchanskaya I.K. Morfostrukturnye zakonomernosti razmeshcheniya ehndogennoi mineralizatsii [Morphostructural patterns of placement of endogenous mineralization]. M.: Nauka, 1981. 239 p. (in Russian).
- Volchkov A.G., Girfanov M.M., Novikov V.P. Perspektivy razvitiya mineral'no-syr'evoi bazy zolota Polyarnogo Urala (YANAO) // Problemy osvoeniya MSB tverdykh polez. iskop. na Polyarnom Urale [Prospects for the development of the mineral resource base of gold in the Polar Urals (YaNAO) // Problems of the development of solid minerals in the SMEs in the Polar Urals]. Salekhard, 2007. P. 188–190. (in Russian).
- Volchkov A.G., Kryazhev S.G. Veshchestvennyi sostav, usloviya lokalizatsii i formirovaniya zolotogo orudeneniya Novogodnenskogo rudnogo polya. Toupugol-Khanmeishorskaya ploshchad', Polyarnyi Ural. Otchet po dogovoru № 6d [The material composition, conditions of localization and formation of gold mineralization Novogodnenskogo ore field. Toupugol-Khanmeyshor Square, the Polar Urals. Report on the contract number 6d]. M.: TSNIGRI, 2005. (in Russian).
- Vural A., Corumluoglu Ö., Asri I. Remote sensing technique for capturing and exploration of mineral deposit sites in Gumushane metallogenic province, NE Turkey // J. Geol. Soc. India. 2017. V. 90. № 5. Р. 628–633. doi.org/10.1007/s12594–017–0762–0
- Vykhristenko R.I. Paleovulkanicheskie postroiki Tur'insko-Auehrbakhovskogo i Valentorskogo rudnykh raionov i svyazannye s nimi mestorozhdeniya zolota i medi [Paleovolcanic structures of Turyinsko-Auerbakhovsky and Valentorsky ore districts and associated gold and copper deposits] // Vestnik Rossiiskogo universiteta druzhby narodov. Seriya: Inzhenernye issledovaniya. 2014. № 4. P. 122–128. (in Russian).
- Yazeva R.G., Bochkarev V.V. Voikarskii vulkano-plutonicheskii poyas (Polyarnyi Ural) [Voikarsky volcano-plutonic belt (Polar Urals)]. Sverdlovsk: UNTs AN SSSR, 1984. 156 p. (in Russian).
- Yousefi T., Aliyari F., Abedini A., Calagari A.A. Integrating geologic and Landsat 8 and ASTER remote sensing data for gold exploration: a case study from Zarshuran Carlin-type gold deposit, NW Iran // Arabian J. Geoscien. 2018. 11:482. doi.org/10.1007/s12517–018–3822-x
- Zhang X., Pazner M., Duke N. Lithologic and mineral information extraction for gold exploration using ASTER data in the South Chocolate Mountains (California) // ISPRS J. of Photogrammetry and Remote Sensing. 2007. V. 62. № 4. Р. 271–282. doi.org/10.1016/j.isprsjprs.2007.04.004.
- Zverev A.T., Gavrilova V.V. Razrabotka teorii i metodov otsenki i prognoza sostoyaniya prirodnykh resursov s ispol'zovaniem kosmicheskikh snimkov [Development of the theory and methods for assessing and predicting the state of natural resources using satellite imagery] // Izv. vuzov. Geodeziya i aerofotos"emka. 2012. № 5. P. 44–47. (in Russian).
- Zverev A.T., Malinnikov V.A., Arellano-Baesa A. Prognoz mestorozhdenii rudnykh poleznykh iskopaemykh na territorii Chili na osnove lineamentnogo analiza kosmicheskikh izobrazhenii [Forecast of mineral deposits in Chile based on lineament analysis of space images] // Izv. vuzov. Geodeziya i aerofotos"emka. 2005. № 6. P. 62–69. (in Russian).
Supplementary files







